Aeolesthes aurifaber
| Aeolesthes aurifaber | ||||||||
|---|---|---|---|---|---|---|---|---|
| ||||||||
| Научная классификация | ||||||||
|
Домен: Царство: Подцарство: Без ранга: Без ранга: Без ранга: Без ранга: Тип: Подтип: Надкласс: Класс: Подкласс: Инфракласс: Надотряд: Отряд: Подотряд: Инфраотряд: Надсемейство: Семейство: Подсемейство: Триба: Род: Вид: Aeolesthes aurifaber |
||||||||
| Международное научное название | ||||||||
| Aeolesthes aurifaber (White, 1853) | ||||||||
| Синонимы | ||||||||
|
||||||||
| ||||||||
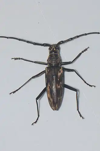
Aeolesthes aurifaber (лат.) — вид жуков-усачей из подсемейства собственно усачей. Распространён в Лаосе, Малайзии и Таиланде[1].
Описание
Длина тела взрослых насекомых 6,1—7 мм. Тело тёмное или чёрное, в серебристых волосках[2]. Переднеспинка округлая с морщинистой поверхностью[3]. Вершины бёдер средних и задних ног зубчатые[4].
Примечания
- 1 2 3 4 5 6 7 8 9 Систематика и синонимия (англ.). BioLib. Дата обращения: 20 ноября 2011. Архивировано из оригинала 10 февраля 2013 года.
- ↑ Описание (англ.). «arbec.com.my». Дата обращения: 26 ноября 2011. Архивировано из оригинала 3 октября 2006 года.
- ↑ Chung A. Y.C., Binti M., Yukang J. L. [https://jurcon.ums.edu.my/ojums/index.php/jtbc/article/view/205 Beetles (Coleoptera) sampled at the Ginseng Camp, Maliau Basin, Sabah, Malaysia with the Winkler’s method and light trap] (англ.) // Journal of Tropical Biology and Conservation. — 2010. — No. 6. — P. 79 – 84. — doi:10.51200/jtbc.v1i6.205. Архивировано 1 марта 2023 года.
- ↑ Vitali F., Gouverneur X., Chemin G. [https://www.researchgate.net/profile/Francesco-Vitali-3/publication/318351259 Revision of the tribe Cerambycini: redefinition of the genera Trirachys Hope, 1843, Aeolesthes Gahan, 1890 and Pseudaeolesthes Plavilstshikov, 1931 (Coleoptera, Cerambycidae)] (англ.) // Les Cahiers Magellanes. — 2017. — No. 26. — P. 40—65.
.jpg)