Archaeoteleia waipoua
| Archaeoteleia waipoua | ||||||
|---|---|---|---|---|---|---|
| ||||||
| Научная классификация | ||||||
|
Домен: Царство: Подцарство: Без ранга: Без ранга: Без ранга: Без ранга: Тип: Подтип: Надкласс: Класс: Подкласс: Инфракласс: Надотряд: Hymenopterida Отряд: Подотряд: Инфраотряд: Надсемейство: Семейство: Подсемейство: Scelioninae Триба: Scelionini Род: Вид: Archaeoteleia waipoua |
||||||
| Международное научное название | ||||||
| Archaeoteleia waipoua Early, in Early, Masner & Johnson, 2007[1] | ||||||
| ||||||
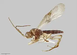
Archaeoteleia waipoua (лат.) — вид наездников из семейства Platygastridae (Scelioninae, или Scelionidae, по другим классификациям). Новая Зеландия. Длина самцов около 4 мм (самки не найдены). Общая окраска коричневая (брюшко более тёмное), ноги — желтовато-бурые. Нижнечелюстные щупики 5-члениковые; нижнегубные щупики состоят из 3 сегментов. Усики у обоих полов 12-члениковые. Формула члеников лапок: 5-5-5; формула шор ног: 1-2-2[1]. Вид был описан в 2007 году в ходе ревизии рода, проведённой энтомологами Джоном Эрли (John W. Early, Новая Зеландия), Любомиром Маснером (Lubomir Masner, Канада) и Норманом Джонсом (Norman F. Johnson, США). Название виду «waipoua» дано по имени того места (Waipoua State Forest), где была найдена типовая серия[1].
Примечания
- 1 2 3 Early, John W. (New Zealand), Lubomir Masner (Canada) & Norman F. Johnson. Archaeoteleia novaezealandiae Masner (Hymenoptera, Scelionidae) (англ.) // Zootaxa. — Auckland, New Zealand: Magnolia Press, 2007. — No. 1655. — P. 1-48. — ISSN 1175-5326. Архивировано 1 июня 2012 года. (5 Dec. 2007) 16 plates; 19 references.
Литература
- Early, John W. (New Zealand), Lubomir Masner (Canada) & Norman F. Johnson. Revision of Archaeoteleia Masner (Hymenoptera: Platygastroidea, Scelionidae) (англ.) // Zootaxa. — Auckland, New Zealand: Magnolia Press, 2007. — No. 1655. — P. 1-48. — ISSN 1175-5326. (5 Dec. 2007) 16 plates; 19 references.
Ссылки
- eol.org: Archaeoteleia (англ.) (Дата обращения: 2 февраля 2013)
