Cicindinae
| Cicindinae | ||||||
|---|---|---|---|---|---|---|
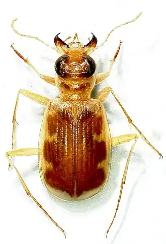
![]() Cicindis horni | ||||||
| Научная классификация | ||||||
|
Домен: Царство: Подцарство: Без ранга: Без ранга: Без ранга: Без ранга: Тип: Подтип: Надкласс: Класс: Подкласс: Инфракласс: Надотряд: Отряд: Подотряд: Надсемейство: Семейство: Подсемейство: Cicindinae |
||||||
| Международное научное название | ||||||
| Cicindinae Baenninger, 1927 | ||||||
| Синонимы | ||||||
|
||||||
| Роды | ||||||
|
См. текст |
||||||
| ||||||
Cicindinae (лат.) — подсемейство жужелиц, включающее в себя 2 рода и 2 вида. Обладает разорванным ареалом (один вид в Аргентине, а второй — в Иране)[1].
Описание
Длина желтовато-бурого тела около 1 см. Глаза крупные. Усики 11-члениковые. Ноги длинные и тонкие, лапки 5-члениковые, на голенях по две шпоры. Встречаются на побережьях соленых озер и морей. Включает Cicindis horni — вид плавающих хищных жужелиц, способных погружаться в глубину водоёма за своей добычей[2].
Систематика
Ранее рассматривалось в качестве трибы Cicindini или надтрибы Cicinditae.
Подсемейство Cicindinae
- Род Archaeocindis Kavanaugh and Erwin, 1991
- Archaeocindis johnbeckeri (Bänninger, 1927)
- =Cicindis johnbeckeri Bänninger, 1927
- Archaeocindis johnbeckeri (Bänninger, 1927)
- Род Cicindis Bruch 1908
- Cicindis horni Bruch 1908
Примечания
- ↑ Крыжановский О. Л. Жуки подотряда Adephaga. Семейства Rhysodidae, Trachypachydae; семейство Carabidae (вводная часть и обзор фауны СССР) // Фауна СССР. Насекомые жесткокрылые. — Л.: Наука, 1983. — Т. 1, вып. 2. — С. 134. — 341 с. — (Новая серия № 128).
- ↑ Kavanaugh, D.H. & Erwin, T.L. (1991). The tribe Cicindini Bänninger (Coleoptera: Carabidae): Comparative morphology, natural history, and reclassification. — Proceeding of the Entomological Society of Washington, 93(2), 356—389. (англ.) (Дата обращения: 3 июня 2011)
Литература
- Erwin, T. L.; Aschero, V. 2004: Cicindis horni Bruch (Coleoptera: Carabidae, Cicindini): the Fairy Shrimp Hunting Beetle, its way of life on the Salinas Grandes of Argentina. — Zootaxa, 553: 1—16.
- Kavanaugh, D. H. & Erwin, T. L. (1991). The tribe Cicindini Bänninger (Coleoptera: Carabidae): Comparative morphology, natural history, and reclassification. — Proceeding of the Entomological Society of Washington, 93(2), 356—389.
Ссылки
- tolweb.org Cicindini
- tolweb.org Cicindis horni
