Macroveliidae
| Macroveliidae | ||||||||||||
|---|---|---|---|---|---|---|---|---|---|---|---|---|
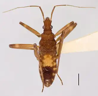
![]() Oravelia pege | ||||||||||||
| Научная классификация | ||||||||||||
|
Домен: Царство: Подцарство: Без ранга: Без ранга: Без ранга: Без ранга: Тип: Подтип: Надкласс: Класс: Подкласс: Инфракласс: Клада: Надотряд: Отряд: Подотряд: Инфраотряд: Семейство: Macroveliidae |
||||||||||||
| Международное научное название | ||||||||||||
| Macroveliidae McKinstry, 1942 | ||||||||||||
| Типовой род | ||||||||||||
|
Macrovelia Uhler, 1872 |
||||||||||||
| ||||||||||||
Macroveliidae (лат.) — семейство полужесткокрылых из подотряда клопов.
Описание
В отличие от водомерок коготки располагаются на вершинах лапок[1][2]. Базальные тергиты брюшка с парными продольными гребнями[3]. Яйца имеют несколько микропилей[4].
Экология
Обитают в увлажнённых местообитаниях, встречаются на растениях или реже на поверхности воды. По типу питания являются хищниками или падальщиками. Питаются преимущественно насекомыми. Самки откладывают яйца на мхи и камни[2].
Систематика
В состав семейства входят три современных монотипических рода[5][1]. Род Daniavelia, обнаруженный в глинистых палеогеновых отложениях в Дании, предварительно отнесен к этому семейству[3][6]. Некоторые авторы относят к этому семейству виды Paraphrynoveliidae[4].
- Chepuvelia usingeri China, 1963
- Macrovelia hornii Uhler, 1872
- Oravelia pege Drake & Chapman, 1963
- † Daniavelia morsensis Andersen, 1998
Распространение
Современные представители встречаются только в Западном полушарии[5].
Примечания
- 1 2 Insect Biodiversity: Science and Society, (англ.) / Editors: Foottit R. G., Adler P. H.. — 2nd Edition. — Oxford: Wiley-Blackwell, 2017. — Vol. 1. — P. 288. — 867 p. — ISBN 978-1-118-94553-7.
- 1 2 Froeschner R. C. Family Macroveliidae McKinstry, 1942: Macroveliid Water Bugs // Catalog of the Heteroptera, or True Bugs, of Canada and the Continental United States (англ.). — 1st Edition. — New York: CRC Press, 1988. — P. 246. — 958 p. — ISBN 9781351070447.
- 1 2 Damgaard J. Evolution of the semi-aquatic bugs (Hemiptera: Heteroptera: Gerromorpha) with a re-interpretation of the fossil record (англ.) // Acta entomologica musei nationalis Pragae. — 2008. — Vol. 48, no. 2. — P. 251—268. Архивировано 9 июля 2022 года.
- 1 2 Damgaard J. What Do We Know About the Phylogeny of the Semi-Aquatic Bugs (Hemiptera: Heteroptera: Gerromorpha)? (англ.) // Entomologica Americana. — 2012. — Vol. 118, iss. 1. — P. 81–98. — ISSN 1947-5144 1947-5136, 1947-5144. — doi:10.1664/12-RA-030.1. Архивировано 31 декабря 2018 года.
- 1 2 Polhemus J. T., Polhemus D. A. Global diversity of true bugs (Heteroptera; Insecta) in freshwater (англ.) // Hydrobiologia. — 2008. — Vol. 595, iss. 1. — P. 379–391. — ISSN 1573-5117. — doi:10.1007/s10750-007-9033-1.
- ↑ Andersen N. M. Water striders from the Paleogene of Denmark with a review of the fossil record and evolution of semiaquatic bugs (Hemiptera: Gerromorpha) (англ.) // Det Kongelige Danske Videnskabernes Selskab, Biologiske Skrifter. — 1998. — Vol. 50. — P. 47—49.
Литература
- McKinstry A.P. A new family of Hemiptera-Heteroptera proposed for Macrovelia hornii Uhler (англ.) // Pan-Pacific Entomologist. — 1942. — No. 18. — P. 90–96.
