Систематика жуков-ощупников






























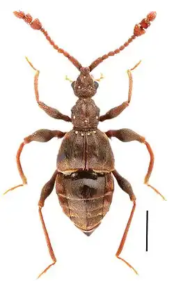
.jpg)
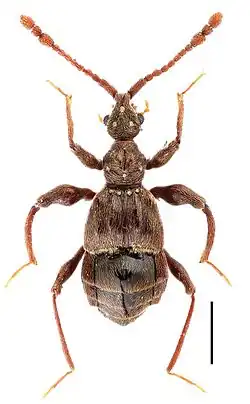
_2.jpg)












































Жуки-ощупники (Pselaphinae) по современной классификации с 1995 года (Newton and Thayer, 1995) рассматриваются в ранге подсемейства в составе семейства Staphylinidae. В мировой фауне насчитывается около 1000 родов и до 10 000 видов[1]. Ранее эта группа жуков была оригинально описана и продолжительное время рассматривалась как самостоятельное семейство Pselaphidae[2][3].
Выделяют надтрибы (ранее подсемейства в составе Pselaphidae) Batrisitae (трибы Amauropini — Batrisini) — Clavigeritae (Clavigerini — Colilodionini — Tiracerini) — Euplectitae (Bythinoplectini — Dimerini — Euplectini — Jubini — Mayetiini — Metopiasini — Trichonychini — Trogastrini) — Faronitae (Faronini) — Goniaceritae (Brachyglutini — Bythinini — Proterini — Speleobamini — Tychini — Valdini) — Pselaphitae (Arhytodini — Ceophyllini — Ctenistini — Pselaphini — Tmesiphorini — Tyrini — Hybocephalini — Attapseniini — Pachygastrodini — Odontalgini)[1].
Список таксонов
Надтриба Batrisitae
- надтриба Batrisitae Reitter, 1882
- триба Amauropini Jeannel, 1948
- Amaurops Fairmaire, 1851
- Amauropus Reitter, 1918
- Arianops Brendel, 1893
- Bergrothia Reitter, 1884
- Orientamaurops Karaman, 1961
- Paramaurops Jeannel, 1948
- Protamaurops G.Müller, 1944
- Pseudamaurops Jeannel, 1948
- Seracamaurops Winkler, 1925
- Troglamaurops Ganglbauer, 1903
- Tropidamaurops Jeannel, 1948
- Zoufalia Reitter, 1918
- триба Batrisini Reitter, 1882
- подтриба Ambicocerina Leleup, 1970
- Ambicocerodes Leleup, 1970
- Ambicoceropsis Leleup, 1971
- Ambicocerus Leleup, 1970
- Pseudambicocerus Leleup, 1970
- подтриба Batrisina Reitter, 1882
- Acanthanops Jeannel, 1952
- Acanthicomus Jeannel, 1950
- Acanthocliarthrus Leleup, 1970
- Adiastulus Raffray, 1904
- Amblybatrisus Chandler, 2001
- Anama Newton & Chandler, 1989
- Ancistromus Jeannel, 1957
- Apobatrisus Raffray, 1897
- Apocliarthrus Jeannel, 1959
- Apotrabisus Jeannel, 1959
- Arthmius LeConte, 1849
- Arthromelodes Jeannel, 1954
- Arthromelus Jeannel, 1949
- подрод Arthromelus (Arthromelus) Jeannel, 1949
- подрод Euthiomelus (Arthromelus) Jeannel, 1957
- подрод Scaiomelus (Arthromelus) Jeannel, 1951
- Atheropterus Raffray, 1882
- подрод Atheropterus (Atheropterus) Raffray, 1882
- подрод Echinotrabisus (Atheropterus) Jeannel, 1959
- подрод Paratrabisus (Atheropterus) Jeannel, 1959
- подрод Probatrisus (Atheropterus) Raffray, 1890
- подрод Trabisellus (Atheropterus) Jeannel, 1952
- подрод Trabisidius (Atheropterus) Jeannel, 1952
- подрод Trabisinus (Atheropterus) Jeannel, 1959
- подрод Trabisomorphus (Atheropterus) Jeannel, 1959
- подрод Trabisonoma (Atheropterus) Jeannel, 1955
- подрод Trabisorites (Atheropterus) Jeannel, 1952
- Babascenellus Nomura, 1995
- Basitrodes Jeannel, 1958
- Batoctenus Sharp, 1887
- Batoxyla Raffray, 1897
- Batriasymmodes Park, 1951
- подрод Batriasymmodes (Batriasymmodes) Park, 1951
- подрод Extollodes (Batriasymmodes) Park, 1965
- подрод Speleodes (Batriasymmodes) Park, 1965
- Batribolbus Raffray, 1904
- Batricrator Jeannel, 1957
- Batrictenistes Löbl, 1976
- Batrifigia Park, 1952
- Batrinanda Park, 1952
- Batriplica Raffray, 1904
- Batrisaulax Jeannel, 1959
- Batriscenaulax Jeannel, 1958
- Batriscenellus Jeannel, 1958
- подрод Batriscenellinus (Batriscenellus) Nomura, 1991
- подрод Batriscenellus (Batriscenellus) Jeannel, 1958
- подрод Coreoscenellus (Batriscenellus) Nomura & Lee, 1993
- подрод Nipponoscenellus (Batriscenellus) Nomura, 1991
- подрод Scaioscenellus (Batriscenellus) Jeannel, 1958
- Batrisceninus Jeannel, 1952
- Batrisceniola Jeannel, 1958
- Batriscenites Jeannel, 1952
- Batriscenodes Jeannel, 1952
- Batrischema Newton & Chandler, 1989
- Batrisiella Raffray, 1904
- Batrisinus Raffray, 1893
- Batrisiotes Jeannel, 1951
- Batrisocenus Raffray, 1903
- Batrisochaetus Jeannel, 1959
- Batrisochorus Jeannel, 1949
- подрод Batrisochorus (Batrisochorus) Jeannel, 1949
- подрод Batristellus (Batrisochorus) Jeannel, 1950
- Batrisoconnus Leleup, 1975
- Batrisodella Jeannel, 1954
- Batrisodellus Jeannel, 1958
- Batrisodema Raffray, 1890
- Batrisodes Reitter, 1882
- подрод Babnormodes (Batrisodes) Park, 1951
- подрод Batrisodes (Batrisodes) Reitter, 1882
- подрод Declivodes (Batrisodes) Park, 1951
- подрод Elytrodes (Batrisodes) Park, 1951
- подрод Empinodes (Batrisodes) Park, 1953
- подрод Excavodes (Batrisodes) Park, 1951
- подрод Pubimodes (Batrisodes) Park, 1951
- подрод Spifemodes (Batrisodes) Park, 1953
- Batrisodiola Jeannel, 1960
- Batrisodites Jeannel, 1954
- Batrisomalus Raffray, 1904
- Batrisomellus Leleup, 1976
- Batrisomicrus Jeannel, 1954
- Batrisomina Raffray, 1903
- Batrisopachys Jeannel, 1960
- Batrisophyma Raffray, 1904
- Batrisoplatus Raffray, 1894
- Batrisoplisus Raffray, 1908
- Batrisopsis Raffray, 1894
- Batrisoschema Reitter, 1884
- Batrisoxenus Leleup, 1971
- Batristerus Jeannel, 1949
- Batristhenes Jeannel, 1960
- Batristidius Jeannel, 1950
- Batristilbus Raffray, 1909
- Batristites Jeannel, 1949
- Batristogenius Jeannel, 1959
- Batrisus Aubé 1833
- Batrivitis Park, 1952
- Batrixenus Newton & Chandler, 1989
- Besuchetidia Leleup, 1981
- Borneana L.W.Schaufuss, 1882
- Bothriotelus Jeannel, 1951
- Camptomodes Jeannel, 1959
- Catoxyomus Jeannel, 1950
- Celisia Jeannel, 1955
- Ceroderma Raffray, 1890
- Clarkeorites Leleup, 1974
- Cliarthrinidius Jeannel, 1957
- Cliarthrinus Jeannel, 1949
- Cliarthrodes Jeannel, 1949
- Cliarthromorphus Jeannel, 1951
- Cliarthrus Raffray, 1877
- Connodontinus Jeannel, 1953
- Connodontus Raffray, 1882
- подрод Connodontites (Connodontus) Jeannel, 1959
- подрод Connodontus (Connodontus) Raffray, 1882
- Conogastridius Jeannel, 1950
- Conopygidia Jeannel, 1950
- Conuridius Jeannel, 1950
- Coryphomodes Jeannel, 1960
- Coryphomoides Löbl, 1982
- Coryphomus Jeannel, 1949
- подрод Camptomidius (Coryphomus) Jeannel, 1959
- подрод Camptomites (Coryphomus) Jeannel, 1949
- подрод Coryphomellus (Coryphomus) Jeannel, 1959
- подрод Coryphomus (Coryphomus) Jeannel, 1949
- Cratna Raffray, 1890
- Cylindroma Raffray, 1897
- Daintree Chandler, 2001
- Diaposis Raffray, 1904
- Diaugis Raffray, 1904
- Ectotrabisus Leleup, 1979
- Eleodimerina Jeannel, 1960
- Eleodimerodes Leleup, 1981
- Eleodimerus Jeannel, 1949
- Eubatrisus Raffray, 1890
- Exallidius Jeannel, 1957
- Exallomorpha Jeannel, 1950
- Exallus Raffray, 1904
- Exechophyes Jeannel, 1950
- Exedrus Raffray, 1903
- Franzorella Leleup, 1977
- Gadgarra Chandler, 2001
- Hemicliarthrus Jeannel, 1951
- Hingstoniella Jeannel, 1960
- Hulstaertites Jeannel, 1950
- Hyobontus Newton & Chandler, 1989
- Hypochraeus Raffray, 1904
- Iteticus Raffray, 1904
- Jochmansiella Leleup, 1976
- Kigatrodes Jeannel, 1958
- Korovodes Park, 1952
- Leleupia Jeannel, 1950
- подрод Leleupia (Leleupia) Jeannel, 1950
- подрод Paraleleupia (Leleupia) Jeannel, 1950
- Leleupiastes Jeannel, 1960
- Leptobatrisus Jeannel, 1951
- подрод Leptobatrisus (Leptobatrisus) Jeannel, 1951
- подрод Strongylomus (Leptobatrisus) Jeannel, 1952
- Loebliella Leleup, 1981
- Lukwangulorites Leleup, 1976
- Macrodelphus Leleup, 1977
- Madrasorites Jeannel, 1960
- Manniconnus Park, 1949
- Megabatrus Löbl, 1979
- Microbatrisodes Jeannel, 1949
- Mnia Newton & Chandler, 1989
- Mossman Chandler, 2001
- Nenemeca Raffray, 1904
- Neotrabisus Jeannel, 1949
- Nesiotomina Jeannel, 1961
- Neurum Chandler, 2001
- Odonticoscapus Jeannel, 1956
- Odontoconnus Jeannel, 1959
- Ophelius Raffray, 1904
- Orropygia Raffray, 1910
- Oxarthrius Reitter, 1883
- подрод Baroxarthrius (Oxarthrius) Park, 1942
- подрод Oxarthrius (Oxarthrius) Reitter, 1883
- Oxyomera Raffray, 1890
- Oxyomites Jeannel, 1954
- Pachypygidia Jeannel, 1951
- Pachytrabisus Jeannel, 1950
- Panaphysis Reitter, 1882
- Pantosiella Jeannel, 1958
- Parabatrisus Jeannel, 1950
- Passosiella Leleup, 1975
- Petaloscapus Jeannel, 1958
- Physomerinus Jeannel, 1952
- Plocamarthrus Jeannel, 1960
- Podus Raffray, 1882
- Procheilophorus Leleup, 1981
- Pseudobatrisus Raffray, 1913
- Pseudocliarthrus Jeannel, 1953
- Pseudoconnus Leleup, 1971
- Pseudoctenistes Leleup, 1975
- Pseudotrabisoides Jeannel, 1953
- Ruacorites Jeannel, 1950
- Ryxabis Westwood, 1870
- Sathytes Westwood, 1870
- Seydelites Jeannel, 1951
- Siteromina Löbl, 1979
- Smetanabatrus Yin & Li, 2013
- Speobatrisodes Jeannel, 1958
- Spurgeon Chandler, 2001
- Stenocliarthrus Leleup, 1970
- Stictus Raffray, 1882
- Sulcifigia Park, 1952
- Syrbatomorphus Jeannel, 1960
- Syrbatus Reitter, 1882
- подрод Syrbatidius (Syrbatus) Jeannel, 1952
- подрод Syrbatus (Syrbatus) Reitter, 1882
- Syrmocerus Raffray, 1898
- Texamaurops Barr & Steeves, 1963
- Tinaroo Chandler, 2001
- Trabisodema Jeannel, 1950
- Trabisoides Jeannel, 1950
- Trabisostenus Jeannel, 1950
- Trabisoxenus Leleup, 1971
- Tribasodema Jeannel, 1961
- Tribasodes Jeannel, 1958
- Tribasodites Jeannel, 1960
- Trichonomorphus Raffray, 1890
- Trichopnites Dajoz, 1982
- Trisinarthrus Jeannel, 1960
- Trisiniotus Jeannel, 1960
- Trisinus Raffray, 1894
- Typhlobatrisus Jeannel, 1953
- Typhlorites Jeannel, 1952
- Xenadiastus Jeannel, 1950
- Xenobasilewskyia Leleup, 1976
- Xenobatrisus Wasmann, 1918
- Xenocliarthrus Jeannel, 1956
- Xenoconurus Jeannel, 1960
- Xenolejeunea Leleup & Célis, 1969
- Xenomachadoella Leleup, 1975
- Xenopygia Jeannel, 1950
- Xenopygiella Jeannel, 1953
- Batrisini (incertae sedis)
- Baceysus Löbl & Kurbatov, 2001
- Batoxylomorpha Löbl & Kurbatov, 2001
- Coryphomobatrus Löbl & Kurbatov, 2001
- Euceroncinus Kemner, 1927
- Pantobatrisus L.W.Schaufuss, 1890
- Temnodera Hope, 1837
- Veddabatrus Löbl & Kurbatov, 2001
- подтриба Leupeliina Jeannel, 1954
- Leupelia Jeannel, 1954
- подтриба Stilipalpina Jeannel, 1954
- Codonoderus Jeannel, 1956
- Pelulea Jeannel, 1954
- Peluleotes Jeannel, 1954
- Stilipalpus Jeannel, 1951
- подтриба Ambicocerina Leleup, 1970
- триба Thaumastocephalini Poggi, Nonveiller, Colla, Pavićević & Rađa, 2001
- Thaumastocephalus Poggi, Nonveiller, Colla, Pavićević & Rađa, 2001
- триба Amauropini Jeannel, 1948
Надтриба Clavigeritae
- надтриба Clavigeritae Leach, 1815
- триба Clavigerini Leach, 1815
- подтриба Adranina Chenu & Desmarest, 1857
- Adranes LeConte, 1849
- подтриба Apoderigerina Jeannel, 1954
- Ambrosiger Silvestri, 1926
- Apoderiger Wasmann, 1897
- Micrapoderiger Jeannel, 1960
- Trymalius Fairmaire, 1898
- подтриба Clavigerina Leach, 1815
- Claviger Preyssler, 1790
- подрод Clavifer (Claviger) Laporte de Castelnau, 1835
- подрод Claviger (Claviger) Preyssler, 1790
- Claviger Preyssler, 1790
- подтриба Clavigerodina L.W.Schaufuss, 1882
- Amphironchus Peyerimhoff, 1939
- Anaclasiger Raffray, 1890
- Ankarahitra Jeannel, 1954
- Archiclaviger Heller, 1936
- Articerodes Raffray, 1890
- Articeronomus Raffray, 1898
- Articeropsis Wasmann, 1893
- Articerus Dalman, 1826
- Bironia Raffray, 1903
- Cerylambus Newton & Chandler, 1989
- Clavigerodes Raffray, 1877
- Clavigeropsis Raffray, 1882
- Clavister Besuchet & Hlavác, 2011[4]
- Colletocerus Célis, 1971
- Commatocerodes Péringuey, 1888
- Corynotopsis Jeannel, 1951
- Corynotus Jeannel, 1951
- Dejageria Jeannel, 1964
- Diartiger Sharp, 1883
- Elasmatus Raffray, 1903
- Fossiger Wasmann, 1918
- Fustiger LeConte, 1866
- Fustigerillus Wasmann, 1918
- Fustigerinus Wasmann, 1912
- Fustigerodes Reitter, 1884
- Fustigeromimus Dajoz, 1982
- Fustigeropsis Raffray, 1890
- Gericlavodes Jeannel, 1960
- Gomyia Célis, 1974
- Hexamerodes Jeannel, 1959
- Ischyroceros Reichensperger, 1915
- Kaisia Mann, 1920
- Leptocorynotus Coulon, 1982
- Macrotrachelos Besuchet & Hlavác, 2011[4]
- Marofusiger Dajoz, 1982
- Mesoleptochir Jeannel, 1959
- Micrelytriger Nomura, 1997
- Microfustigerinus Jeannel, 1960
- Microconilon Besuchet & Hlavác, 2011[4]
- Nadarimanu Mann, 1920
- Nearticerodes Jeannel, 1954
- Neocorynotus Jeannel, 1960
- Neofustiger Bruch, 1929
- Neofustigerinus Jeannel, 1960
- Neoradamopsis Célis, 1969
- Novoclaviger Wasmann, 1894
- Novofustiger Wasmann, 1893
- Palaeoclaviger Reichensperger, 1930
- Paliger Wasmann, 1918
- Pararticerus Jeannel, 1955
- Paussiger Wasmann, 1893
- Platycerodes Jeannel, 1960
- Pseudacerus Raffray, 1895
- Pseudoclavigerodes Reichensperger, 1915
- Radamopsis Reichensperger, 1915
- Rhynchoclaviger Wasmann, 1891
- Stenofustigerinus Célis, 1970
- Sufifer Newton & Chandler, 1989
- Syrraphesina Raffray, 1903
- Triartiger Kubota, 1944
- Triceratomerus Jeannel, 1960
- Vanuatiella Besuchet & Hlavác, 2011[4]
- Villofustiger Leleup & Célis, 1968
- Xenalluaudia Raffray, 1913
- Xenobesuchetia Leleup, 1976
- Xenocelisia Coulon, 1982
- Xenoleleupia Jeannel, 1952
- Xenomussardia Célis, 1975
- подтриба Dimerometopina Célis, 1970
- Dimerometopus Célis, 1970
- подтриба Disarthricerina Jeannel, 1949
- Disarthricerus Raffray, 1895
- подтриба Hoplitoxenina Célis, 1969
- Burgeonilla Reichensperger, 1930
- Hadrophorus Fairmaire, 1898
- Hoplitoxenus Jeannel, 1960
- Monodiger Paulian, 1949
- подтриба Lunillina Célis, 1969
- Lunilla Jeannel, 1957
- подтриба Mastigerina Jeannel, 1954
- Mastiger Motschulsky, 1851
- подтриба Miroclavigerina Jeannel, 1949
- Miroclaviger Wasmann, 1893
- подтриба Neoceratopsina Célis, 1970
- Neoceratopsis Jeannel, 1956
- подтриба Neocerina Jeannel, 1954
- Neocerus Wasmann, 1893
- подтриба Radamina Jeannel, 1954
- Madara Dajoz, 1982
- Merinia Newton & Chandler, 1989
- Pseudoradama Dajoz, 1982
- Radama Raffray, 1883
- Radamellus Raffray, 1905
- Radamides Wasmann, 1897
- Radamira Reichensperger, 1915
- Semiclaviger Wasmann, 1893
- подтриба Theocerina Jeannel, 1954
- Antalaha Jeannel, 1954
- Theocerus Raffray, 1897
- подтриба Thysdariina Jeannel, 1954
- Arnoldiella Brauns, 1925
- Braunsiella Raffray, 1901
- Eurycheiles Jeannel, 1951
- Soalala Dajoz, 1982
- Thysdariopsis Jeannel, 1960
- Thysdarius Fairmaire, 1904
- Trichomatosus Célis, 1970
- подтриба Adranina Chenu & Desmarest, 1857
- триба Colilodionini Besuchet, 1991
- триба Tiracerini Besuchet, 1986
- Cautinia Franz, 1996
- Eupsinoides Motschulsky, 1857
- Hetereuplectus L.W.Schaufuss, 1890
- Mehuinia Franz, 1996
- Monyx L.W.Schaufuss, 1890
- Nugator L.W.Schaufuss, 1890
- Philotrimium Blattny 1925
- Tiracerus Besuchet, 1986
- триба Clavigerini Leach, 1815
Надтриба Euplectitae
- надтриба Euplectitae Streubel, 1839
- триба Bythinoplectini L.W.Schaufuss, 1890
- подтриба Bythinoplectina L.W.Schaufuss, 1890
- Acrodimerus Jeannel, 1954
- Anomozethodes Coulon, 1989
- Anomozethus Jeannel, 1951
- Anozethopsis Jeannel, 1956
- Apozethopsus Jeannel, 1954
- Archaeozethus Leleup, 1973
- Aulacozethus Leleup, 1977
- Basilewskyozethus Leleup, 1977
- Besucheteidos Comellini, 1985
- Besuchetiozethus Coulon, 1989
- Bolbozethus Coulon, 1982
- Bythinoplectoides Comellini, 1985
- Bythinoplectus Reitter, 1882
- Cephalozethus Jeannel, 1955
- Couloniella Besuchet, 1983
- Decazethodes Coulon, 1989
- Decazethus Coulon, 1989
- Dichocoryna Comellini, 1985
- Dichozethinus Jeannel, 1956
- Dimorphozethus Jeannel, 1952
- Diplomelinus Jeannel, 1957
- Echinozethus Jeannel, 1954
- Euplectomorphus Motschulsky, 1863
- Hendecameros Comellini, 1985
- Heptaleptus Jeannel, 1952
- Jeannelia Raffray, 1913
- Leleupiozethus Coulon, 1979
- Loebliozethus Coulon, 1983
- Mecynozethus Jeannel, 1952
- Microzethinus Jeannel, 1954
- Microzethopsis Jeannel, 1960
- Neozethopsus Jeannel, 1954
- Nesiotozethus Jeannel, 1954
- Nipponozethus Coulon, 1989
- Notozethus Coulon, 1989
- Octomeros Comellini, 1985
- Octozethodes Jeannel, 1953
- Octozethus Jeannel, 1951
- Opisthosphaera Jeannel, 1952
- Orazethus Coulon, 1990
- Oxyzethodes Jeannel, 1954
- Oxyzethus Jeannel, 1953
- Pachyzethopsus Jeannel, 1954
- Petalozethopsis Jeannel, 1960
- Poeciloceras Comellini, 1985
- Proboscites Jeannel, 1950
- Projeannelia Coulon, 1989
- Protozethopsus Jeannel, 1954
- Pseudozethinus Coulon, 1989
- Puripnozethus Coulon, 1989
- Pyxidion Comellini, 1985
- Rhinozethus Coulon, 1989
- Schizocoryna Comellini, 1985
- Selenozethus Jeannel, 1955
- Trizethopsis Dajoz, 1982
- Typhlozethodes Coulon, 1989
- Typhlozethus Jeannel, 1951
- Urozethidius Jeannel, 1959
- Zethinomorphus Jeannel, 1960
- Zethinus Raffray, 1908
- Zethopsinus Jeannel, 1949
- Zethopsiola Jeannel, 1954
- Zethopsoides Jeannel, 1953
- Zethopsus Reitter, 1880
- подтриба Pyxidicerina Raffray, 1904
- Cerennea Raffray, 1913
- Hughia Raffray, 1913
- Megalocarpus Coulon, 1989
- Nandius Coulon, 1990
- Neopyxidicerus Coulon, 1989
- Orlandia Comellini, 1985
- Parapyxidicerus Sawada, 1964
- Pyxidicerinus Jeannel, 1952
- Pyxidicerus Motschulsky, 1863
- Pyxidizethus Coulon, 1989
- подтриба Bythinoplectina L.W.Schaufuss, 1890
- триба Dimerini Raffray, 1908
- Barroeuplectoides Park, 1942
- Ocabaraja Schuster & Grigarick, 1980
- Octomicrellus Jeannel, 1949
- Octomicrites Jeannel, 1956
- Octomicrus L.W.Schaufuss, 1877
- Tuberoplectus Park, 1952
- триба Euplectini Streubel, 1839
- Acolonia Casey, 1894
- Afroplectus Jeannel, 1952
- подрод Afroplectaulax (Afroplectus) Jeannel, 1959
- подрод Afroplectidius (Afroplectus) Jeannel, 1952
- подрод Afroplectodes (Afroplectus) Jeannel, 1952
- подрод Afroplectus (Afroplectus) Jeannel, 1952
- Anomoplectus Jeannel, 1951
- Austroeuplectus Chandler, 2001
- Bothriocephalotes Leleup, 1978
- Coptoplectus Leleup, 1974
- Dissemoplectus Jeannel, 1952
- Dorrigo Chandler, 2001
- Euplectamecia Park, 1952
- Euplectus Leach, 1817
- Labroplectus Kurbatov, 1993
- Leptoplectus Casey, 1908
- Mitrametopus Raffray, 1911
- Okella Chandler, 2001
- Plectoprotus Newton & Chandler, 1989
- Pycnoplectus Casey, 1897
- Seleneuplectus Jeannel, 1955
- Tyxs Chandler, 2001
- триба Jubini Raffray, 1904
- Arctophysis Reitter, 1882
- Auxenocerus Jeannel, 1962
- Balega Reitter, 1882
- Barrojuba Park, 1942
- Endytocera Sharp, 1887
- Germainites Jeannel, 1962
- Jubomorphus Raffray, 1891
- Jubus L.W.Schaufuss, 1872
- Kuscheliotes Jeannel, 1962
- Macta Raffray, 1890
- Morphogenia Parker, 2014
- Phamisus Aubé 1844
- Pselaphomorphus Motschulsky, 1855
- Sebaga Raffray, 1891
- триба Mayetiini Winkler, 1925
- Hagnometopias L.W.Schaufuss, 1890
- Mayetia Mulsant & Rey, 1875
- подрод Mayetia (Mayetia) Mulsant & Rey, 1875
- подрод Metamayetia (Mayetia) Coiffait, 1962
- подрод Promayetia (Mayetia) Coiffait, 1962
- Typhloleptodes Jeannel, 1953
- Typhloleptus Jeannel, 1951
- триба Metopiasini Raffray, 1904
- подтриба Metopiasini (incertae sedis)
- Barrometopia Park, 1942
- Bibrax Fletcher, 1927
- Chandleria Comellini, 1998
- Metopias Gory, 1832
- Metopiasoides Comellini, 2000
- Metopiellus Raffray, 1908
- Metopiosoma Raffray, 1908
- Metopioxys Reitter, 1885
- подтриба Rhinoscepsina Bowman, 1934
- Rhinoscepsis LeConte, 1878
- подрод Rafrhisis (Rhinoscepsis) Park, 1945
- подрод Rhinoscepsis (Rhinoscepsis) LeConte, 1878
- Rhinoscepsis LeConte, 1878
- подтриба Metopiasini (incertae sedis)
- триба Trichonychini Reitter, 1882
- подтриба Bibloporina Park, 1951
- Aphilia Reitter, 1882
- Apoterus Raffray, 1894
- Bartle Chandler, 2001
- Bibloporellus Jeannel, 1949
- Bibloporus Thomson, 1859
- Chaetorhopalus Raffray, 1887
- Epiplectus Raffray, 1898
- Eupinion Oke, 1928
- Kuriporus Kurbatov, 1991
- Narcissiella Jeannel, 1953
- Omobathus Raffray, 1913
- Opisthosemus Jeannel, 1952
- Praeruptifrons Chandler, 2001
- Typhlokahusia Jeannel, 1953
- подтриба Panaphantina Jeannel, 1950
- Acetalius Sharp, 1883
- Acotreba Reitter, 1882
- Adalmus Reitter, 1882
- Aloxomidus Raffray, 1903
- Aminosimus Raffray, 1898
- подрод Aminosimus (Aminosimus) Raffray, 1898
- подрод Plectasymus (Aminosimus) Jeannel, 1960
- Anotimus Dajoz, 1982
- Apheloplectus Raffray, 1913
- Ararat Chandler, 2001
- Asymoplectus Raffray, 1897
- подрод Asymoplectodes (Asymoplectus) Jeannel, 1960
- подрод Asymoplectus (Asymoplectus) Raffray, 1897
- Aulaxus Raffray, 1898
- Biblomelba Park, 1952
- Biblomimus Raffray, 1904
- Bibloplectinus Jeannel, 1949
- Bibloplectopsis Jeannel, 1962
- Bibloplectus Reitter, 1882
- подрод Bibloplectodes (Bibloplectus) Jeannel, 1949
- подрод Bibloplectus (Bibloplectus) Reitter, 1882
- Bruxner Chandler, 2001
- Calarus Raffray, 1903
- Chichester Chandler, 2001
- Cleland Chandler, 2001
- Dalma Sharp, 1874
- Dalmisus Sharp, 1886
- Dandenong Chandler, 2001
- Deroplectus Raffray, 1898
- Diarrogus Raffray, 1903
- Dungog Chandler, 2001
- Eleusomatus Raffray, 1904
- Epithematus Raffray, 1903
- Euglyptus Broun, 1893
- Eungella Chandler, 2001
- Euphiliops Jeannel, 1959
- Euplectina Raffray, 1894
- Euplectodina Raffray, 1898
- Euplectops Reitter, 1882
- Euplectopsis Raffray, 1890
- Eutyphlus LeConte, 1880
- подрод Eutyphlus (Eutyphlus) LeConte, 1880
- подрод Planityphlus (Eutyphlus) Park, 1956
- Fijiastes Park, 1952
- Forinus Kurbatov, 1991
- Gabata Raffray, 1898
- Glastus Raffray, 1898
- Gordon Chandler, 2001
- Gubarra Chandler, 2001
- Haploplectus Jeannel, 1951
- Hatchia Park & Wagner, 1962
- Humbertella Newton & Chandler, 1989
- Hypoplectus Raffray, 1913
- подрод Hypoplectinus (Hypoplectus) Jeannel, 1952
- подрод Hypoplectus (Hypoplectus) Raffray, 1913
- Joalah Chandler, 2001
- Kapalga Chandler, 2001
- Kenocoelus Broun, 1911
- Kioloa Chandler, 2001
- Kyogle Chandler, 2001
- Lioplectus Raffray, 1898
- Meliceria Raffray, 1898
- подрод Cyrtoplectus (Meliceria) Normand, 1904
- подрод Meliceria (Meliceria) Raffray, 1898
- Metaplectodes Jeannel, 1960
- Methorius Raffray, 1904
- Mexigaster Park, 1952
- Miallo Chandler, 2001
- Microplectus Raffray, 1898
- Millaa Chandler, 2001
- Mirellus Raffray, 1894
- Namssom Chandler, 2001
- Neoplectidius Jeannel, 1960
- Neothesiastes Jeannel, 1960
- Nesiotoplectus Jeannel, 1954
- Noota Chandler, 2001
- Omotimellus Jeannel, 1952
- Omotimiotes Jeannel, 1954
- Omotimus Raffray, 1904
- Pachyeuplectus Jeannel, 1954
- Panaphantus Kiesenwetter, 1858
- Paraphiliopsis Jeannel, 1959
- Paraplectus Raffray, 1898
- Patreus Broun, 1904
- Perditadens Chandler, 2001
- Periplectus Raffray, 1887
- Philiopsis Raffray, 1893
- Philoscotus Sawada, 1957
- Piptoncus Kurbatov, 1991
- Placodium Broun, 1893
- Plectiastes Jeannel, 1960
- Plectodytes Jeannel, 1956
- Plectomorphus Raffray, 1898
- Plectophloeus Reitter, 1891
- Prodalma Raffray, 1897
- Pseudactium Casey, 1908
- Pseudomotimus Jeannel, 1952
- Pseudoplectus Reitter, 1882
- Pteroplectus Raffray, 1898
- Quotidiaplectus Chandler, 2001
- Ramecia Casey, 1894
- Ramussia Kurbatov, 1991
- Rhynchoplectus Jeannel, 1959
- Sagolonus Raffray, 1898
- Sampsa Raffray, 1898
- Saxet Grigarick & Schuster, 1980
- Scabritia Chandler, 2001
- Scotoplectus Reitter, 1880
- Sealy Chandler, 2001
- Thesiastes Casey, 1894
- Thesium Casey, 1884
- Tiliactus Kurbatov, 1992
- Tooloom Chandler, 2001
- Torvicia Chandler, 2001
- Trigonoplectus Bowman, 1934
- Trimiophanes Jeannel, 1954
- Trimioplectus Brendel, 1890
- Trisignis Park & Schuster, 1955
- Vidamodes Broun, 1921
- Vidamus Raffray, 1898
- Whitea Hutton, 1904
- Whyanbeel Chandler, 2001
- Xyts Chandler, 2001
- Zelandius Raffray, 1898
- подтриба Trichonychina Reitter, 1882 (Jeannel, 1964)
- Abdiunguis Park & Wagner, 1962
- Allodalminiastes Franz, 1996
- Amauronyx Reitter, 1882
- Ambalavoa Dajoz, 1982
- Andiotes Franz, 1996
- Andiplectops Jeannel, 1962
- Ankavena Jeannel, 1954
- Anoplectus Raffray, 1897
- Apotectus Newton & Chandler, 1989
- Araucaniotes Jeannel, 1962
- Badensia Jeannel, 1954
- Barrengarry Chandler, 2001
- Bithongabel Chandler, 2001
- Bontomtes Grigarick & Schuster, 1980
- Caligrua Jeannel, 1962
- Caligruacmes Jeannel, 1963
- Chrestomera Jeannel, 1962
- Clyde Chandler, 2001
- Daliacmes Jeannel, 1962
- Dalmina Raffray, 1887
- подрод Dalmina (Dalmina) Raffray, 1887
- подрод Dalminiola (Dalmina) Jeannel, 1964
- Dalminella Jeannel, 1964
- Dalminia Newton & Chandler, 1989
- Dalminiastes Jeannel, 1962
- Dalminiomus Jeannel, 1962
- Damilinidius Jeannel, 1964
- Epullea Jeannel, 1964
- Etopias Jeannel, 1962
- Euplecterga Park & Wagner, 1962
- Fanoridius Franz, 1997
- Faronoma Raffray, 1893
- Foveoscapha Park & Wagner, 1962
- Frutillariotes Jeannel, 1962
- Imeriniella Jeannel, 1960
- Jindabyne Chandler, 2001
- Kerplectus Chandler, 2001
- Macroplectus Raffray, 1898
- Macroraffrayia Jeannel, 1955
- Meithton Chandler, 2001
- Mexiplectus Park, 1943
- Mildana Jeannel, 1964
- Morius Casey, 1894
- Namunia Reitter, 1882
- Neoraffrayia Jeannel, 1955
- Nothoplectus Jeannel, 1963
- Oropodes Casey, 1894
- Panaramecia Park, 1942
- Parapteracmes Jeannel, 1962
- Parepullea Jeannel, 1964
- Platyplectus Jeannel, 1962
- Plectostenus Lea, 1910
- Plectusodes Raffray, 1898
- Protoplectus Raffray, 1898
- Pseudeuplectus Enderlein, 1909
- Pseudocaligrua Franz, 1996
- Pteracmes Raffray, 1890
- Pteracmidius Jeannel, 1962
- Raffrayia Reitter, 1882
- Raffrayidius Jeannel, 1955
- Raffrayites Jeannel, 1955
- подрод Raffrayites (Raffrayites) Jeannel, 1955
- подрод Raffrayitidia (Raffrayites) Jeannel, 1964
- Raffrayola Jeannel, 1955
- Ranavala Raffray, 1898
- подрод Fanovana (Ranavala) Jeannel, 1960
- подрод Masoala (Ranavala) Jeannel, 1954
- подрод Ranavala (Ranavala) Raffray, 1898
- Ranavalidius Jeannel, 1959
- Ranavalodes Jeannel, 1960
- Stenoplectus Raffray, 1898
- Tetrascapha Schuster & Marsh, 1957
- Thelotia Besuchet, 1999
- Thesiectus Park, 1960
- Tiomomus Jeannel, 1962
- Trepacmes Jeannel, 1962
- Trichonyx Chaudoir, 1845
- Trimiodytes Raffray, 1897
- Tumucania Franz, 1997
- Typhloraffrayia Jeannel, 1955
- Unumgar Chandler, 2001
- Verabarolus Park, 1942
- Washpool Chandler, 2001
- Xenogyna Raffray, 1897
- Xenogynidia Jeannel, 1964
- подтриба Trimiina Bowman, 1934
- Actiastes Casey, 1897
- Actionoma Raffray, 1898
- Actium Casey, 1886
- Actizona Chandler, 1985
- Allobrox Fletcher, 1928
- Allomelba Park, 1954
- Alloplectus Broun, 1911
- Allotrimium Park, 1943
- Amudrocerus Raffray, 1894
- Aphiliops Reitter, 1884
- Armidale Chandler, 2001
- Cupila Casey, 1897
- Dalmomelba Park, 1954
- Dalmoplectus Raffray, 1890
- Dalmosanus Park, 1952
- Dalmosella Casey, 1897
- Gayundah Chandler, 2001
- Haasellia Wagner, 1984
- Hanfordia Park, 1960
- Hispanisella Park, 1976
- Latomelba Park, 1955
- Lemelba Park, 1953
- Leptophiliops Jeannel, 1952
- Limoniates Raffray, 1898
- Malleoceps Park, 1954
- Melba Casey, 1897
- подрод Asymmelba (Melba) Park, 1952
- подрод Cismelba (Melba) Park, 1960
- подрод Frontelba (Melba) Park, 1952
- подрод Melba (Melba) Casey, 1897
- подрод Rameloidea (Melba) Park, 1942
- подрод Vertelba (Melba) Park, 1942
- Melbamima Raffray, 1909
- Minibi Grigarick & Schuster, 1980
- Neactium Jeannel, 1962
- Neodalmus Raffray, 1891
- Paractium Jeannel, 1962
- Perimelba Park, 1952
- Pilactium Grigarick & Schuster, 1970
- Prophilus Raffray, 1890
- Pseudotrimium Raffray, 1898
- Quadrelba Park, 1952
- Ramelbida Park, 1942
- Sandersonella Park, 1976
- Saulcyella Reitter, 1901
- Simplona Casey, 1897
- Tomoplectus Raffray, 1898
- Trimioarcus Park, 1952
- Trimiodina Raffray, 1898
- Trimiomelba Casey, 1897
- Trimiomorphus Raffray, 1890
- Trimiopsis Reitter, 1882
- Trimiosella Raffray, 1898
- Trimiovillus Park, 1954
- Trimium Aubé 1833
- Zibus Saulcy, 1874
- Zolium Casey, 1897
- Zonaira Grigarick & Schuster, 1980
- подтриба Bibloporina Park, 1951
- триба Trogastrini Jeannel, 1949
- подтриба Phtegnomina Park, 1951
- Phtegnomus Raffray, 1890
- подтриба Rhexiina Park, 1951
- Austrorhexius Chandler, 2001
- Rhexius LeConte, 1849
- подрод Rafrhexius (Rhexius) Park, 1952
- подрод Rhexinexus (Rhexius) Park, 1952
- подрод Rhexius (Rhexius) LeConte, 1849
- подтриба Trogastrina Jeannel, 1949
- Aboeurhexius Park, 1952
- Adrogaster Raffray, 1890
- Anarmodius Raffray, 1890
- Aporhexius Raffray, 1904
- Conoplectus Brendel, 1888
- Euboarhexius Grigarick & Schuster, 1966
- Eurhexius Sharp, 1887
- Fletcherexius Park, 1942
- Jubogaster Parker & Maruyama, 2013
- Mesoplatus Raffray, 1890
- Neosampa Broun, 1921
- Oropus Casey, 1886
- Platomesus Chandler, 2001
- Rhexidius Casey, 1887
- Rhexinia Raffray, 1890
- Rhexiola Park, 1952
- Tomeplasus Chandler, 2001
- Trogaster Sharp, 1874
- Trogasteropsis Dodero, 1918
- Xerhius Raffray, 1891
- подтриба Phtegnomina Park, 1951
- триба Bythinoplectini L.W.Schaufuss, 1890
Надтриба Faronitae
- надтриба Faronitae Reitter, 1882
- триба Faronini Reitter, 1882
- Brounea Park & Carlton, 2015[9]
- Chandlerea Park & Carlton, 2015[10]
- Delenda Croissandeau, 1891
- Exeirarthra Broun, 1893
- Faronidiellus Jeannel, 1964
- Faronidius Casey, 1887
- Faronites Jeannel, 1954
- Faronitopsis Jeannel, 1960
- Faronus Aubé 1844
- Golasa Raffray, 1904
- Golasidius Jeannel, 1962
- Golasina Jeannel, 1962
- Golasites Jeannel, 1962
- Logasa Chandler, 2001
- Megarafonus Casey, 1897
- подрод Megarafonus (Megarafonus) Casey, 1897
- подрод Nafonus (Megarafonus) Schuster & Marsh, 1958
- подрод Nanorafonus (Megarafonus) Schuster & Marsh, 1958
- Nunnea Park & Carlton, 2015[10]
- Nugaculus L.W.Schaufuss, 1890
- Parafaronus Jeannel, 1954
- Prosagola Raffray, 1904
- Sagola Sharp, 1874
- Salagosa Raffray, 1904
- Salagosita Franz, 1996
- Sonoma Casey, 1886
- Stenosagola Broun, 1921
- триба Faronini Reitter, 1882
Надтриба Goniaceritae
- надтриба Goniaceritae Reitter, 1882 (1872)
- триба Arnylliini Jeannel, 1952
- Awas Löbl, 1994
- Harmophorus Motschulsky, 1851
- триба Barrosellini Leleup, 1973
- Barrosellus Jeannel, 1951
- триба Brachyglutini Raffray, 1904
- подтриба Baradina Park, 1951
- Euphalepsus Reitter, 1883
- Phalespoides Raffray, 1890
- подтриба Brachyglutina Raffray, 1904
- Acamaldes Reitter, 1882
- Achilia Reitter, 1890
- Achillidia Jeannel, 1962
- Achilliotes Jeannel, 1962
- Anabaxis Raffray, 1908
- Anarmoxys Raffray, 1900
- Anasidius Jeannel, 1952
- Anasopsis Raffray, 1904
- Anchylarthron Brendel, 1887
- Antipodebaxis Chandler, 2001
- Arachis Raffray, 1890
- Araneabaxis Chandler, 2001
- Asanis Newton & Chandler, 1989
- Atacamia Franz, 1996
- Atenisodus Raffray, 1904
- Baraxina Raffray, 1896
- Batraxis Reitter, 1882
- Baxyridius Jeannel, 1954
- Baxyris Jeannel, 1950
- Berdura Reitter, 1882
- Booloumba Chandler, 2001
- Brachygluta Thomson, 1859
- Braxyda Raffray, 1904
- Briara Reitter, 1882
- Briaraxis Brendel, 1894
- Bryaxella Raffray, 1903
- Bryaxina Raffray, 1904
- Bryaxinella Jeannel, 1962
- Bryaxonoma Raffray, 1898
- Bundjulung Chandler, 2001
- Bunoderus Raffray, 1904
- Byraxorites Jeannel, 1962
- Bythinogaster L.W.Schaufuss, 1887
- Caligocara Park, 1945
- Comatopselaphus L.W.Schaufuss, 1882
- Cryptorhinula L.W.Schaufuss, 1887
- Dicrobiotus Jeannel, 1953
- Diroptrus Motschulsky, 1858
- Drasinus Raffray, 1904
- подрод Drasinus (Drasinus) Raffray, 1904
- подрод Paradrasinus (Drasinus) Newton & Chandler, 1989
- Ectopocerus Raffray, 1904
- Ephymata Raffray, 1904
- Eremomus Raffray, 1904
- Ergasteriocerus Leleup, 1973
- Eupifigia Park, 1952
- Eupinella Raffray, 1908
- Eupines King, 1866
- подрод Byraxis (Eupines) Reitter, 1880
- подрод Eupines (Eupines) King, 1866
- Eupinidius Jeannel, 1952
- Eupinogitus Broun, 1921
- Eupinolus Oke, 1928
- Eupinopsis Raffray, 1897
- Eutrichites LeConte, 1880
- Fagniezia Jeannel, 1950
- Gastrobothrus Broun, 1882
- Ghesquierites Jeannel, 1950
- Globa Raffray, 1887
- Iluka Chandler, 2001
- Leiochrotella Jeannel, 1954
- Leiochrotidius Jeannel, 1960
- Leptachillia Jeannel, 1962
- Leptorrachis Jeannel, 1961
- Mallanganee Chandler, 2001
- Mallecoa Franz, 1996
- Malleecola Oke, 1926
- Mitona Raffray, 1904
- Mundaring Chandler, 2001
- Nisaxis Casey, 1886
- Noduliceps Jeannel, 1958
- Nondulia Newton & Chandler, 1989
- Obricala Raffray, 1890
- Paluma Chandler, 2001
- Panabachia Park, 1942
- Parachillia Franz, 1996
- Pedisinops Newton & Chandler, 1989
- Physobryaxis Hetschko, 1913
- Physoplectus Reitter, 1882
- Plectrobythus Leleup & Célis, 1969
- Prosthecarthron Raffray, 1914
- Pselaptus LeConte, 1880
- Pseudachillia Jeannel, 1963
- Pseudachillidia Franz, 1996
- Pseudocamaldes Jeannel, 1955
- Rabyxis Raffray, 1890
- подрод Pseudobaxyris (Rabyxis) Jeannel, 1960
- подрод Rabyxis (Rabyxis) Raffray, 1890
- Raxybis Raffray, 1908
- Reichenbachella Jeannel, 1950
- Reichenbachia (род)Reichenbachia Leach, 1826
- Rougemontiella Leleup, 1974
- Rybaxidia Jeannel, 1962
- Rybaxis Saulcy, 1876
- Scalenarthrus LeConte, 1880
- Silillicus R.Lucas, 1920
- Simkinion Park & Pearce, 1962
- Speobaxyris Jeannel, 1950
- Startes Broun, 1886
- Storeyella Chandler, 2001
- Strombopsis Raffray, 1904
- Tremissus Besuchet, 1982
- Tribatus Motschulsky, 1851
- Triomicrus Sharp, 1883
- Trissemus Jeannel, 1949
- подрод Apotrissemus (Trissemus) Jeannel, 1954
- подрод Corynecerus (Trissemus) Jeannel, 1949
- подрод Trissemidius (Trissemus) Jeannel, 1952
- подрод Trissemodes (Trissemus) Jeannel, 1950
- подрод Trissemus (Trissemus) Jeannel, 1949
- Vasse Chandler, 2001
- Wataranka Chandler, 2001
- Wiangaree Chandler, 2001
- Wollomombi Chandler, 2001
- Woodenbong Chandler, 2001
- Xenobryaxis Jeannel, 1954
- Xiphobythus Jeannel, 1951
- Xybarida Raffray, 1897
- Xybaris Reitter, 1882
- подтриба Brachyglutini (incertae sedis)
- Barybryaxis L.W.Schaufuss, 1890
- подтриба Decarthrina Park, 1951
- Decarthron Brendel, 1865
- подрод Decarfuss (Decarthron) Newton & Chandler, 1989
- подрод Decarthron (Decarthron) Brendel, 1865
- Euteleia Raffray, 1904
- Raffrayolus Jakobson, 1914
- Decarthron Brendel, 1865
- подтриба Eupseniina Park, 1951
- Eupsenina Raffray, 1909
- Eupsenius LeConte, 1849
- подтриба Baradina Park, 1951
- триба Bythinini Raffray, 1890
- подтриба Bythinina Raffray, 1890
- подтриба Bythinini (incertae sedis)
- Antrobythus Besuchet, 1985
- Bathybythus Besuchet, 1974
- Bryaxis Kugelann, 1794
- Bythinus Leach, 1817
- Bythoxenites Jeannel, 1958
- Bythoxenus Motschulsky, 1860
- Ceratobythus Normand, 1932
- Decatocerus Saulcy, 1871
- Gasparobythus Poggi, 1992
- Glyphobythus Raffray, 1904
- Leptobythus Jeannel, 1955
- Linderia Saulcy, 1863
- Machaerites Miller, 1855
- Machaerodes Brendel, 1890
- Mangalobythus Tanokuchi, 1989
- Nonveilleria Pavicevic & Besuchet, 2003
- Pauperobythus Nonveiller, Pavićević & Ozimec, 2002
- Prionobythus Jeannel, 1921
- Pselaptrichus Brendel, 1889
- подрод Pselaptrichus (Pselaptrichus) Brendel, 1889
- подрод Vestitrichus (Pselaptrichus) Park, 1953
- Spelaeobythus Löbl, 1965
- Speleochus Park, 1951
- Subterrochus Park, 1960
- Tychobythinus Ganglbauer, 1896
- Typhlobythus Jeannel, 1926
- Xenobythus Peyerimhoff, 1901
- подтриба Machaeritina Jeannel, 1950
- подтриба Xenobythina Jeannel, 1950
- триба Cyathigerini L.W.Schaufuss, 1872
- Plagiophorus Motschulsky, 1851
- триба Goniacerini Reitter, 1882
- Adrocerus Raffray, 1890
- Basilewskydiella Leleup, 1978
- Bredoella Jeannel, 1950
- Debeckeria Leleup, 1976
- Enneameron Comellini, 1990
- Goniaceroides Raffray, 1918
- Goniacerus Motschulsky, 1855
- Goniastes Westwood, 1870
- Heptameron Comellini, 1979
- Ipsimodes Jeannel, 1951
- Ipsimus Reitter, 1885
- Kistneriella Leleup, 1971
- Leleupites Jeannel, 1950
- Listriophorus L.W.Schaufuss, 1872
- Microgmocerus Leleup, 1974
- Notogmocerus Leleup, 1978
- Ogmoceridius Leleup, 1982
- Ogmocerodes Jeannel, 1950
- Ogmoceropsis Jeannel, 1960
- Ogmocerus Raffray, 1882
- Paragoniastes Comellini, 1979
- Parasimus Jeannel, 1949
- Vadonites Jeannel, 1953
- Xenogmocerodes Leleup, 1978
- триба Imirini Jeannel, 1949
- Imirus Reitter, 1885
- триба Iniocyphini Park, 1951
- подтриба Iniocyphina Park, 1951
- Anoplobraxis Park, 1942
- Auchenotropidius Jeannel, 1952
- Auchenotropis Raffray, 1913
- Batriphysis Park, 1942
- Batrisobryaxis L.W.Schaufuss, 1887
- Brunomanseria Löbl & Kurbatov, 2004
- Bythinophysis Raffray, 1908
- Bythonesiotes Jeannel, 1956
- Capnites Raffray, 1898
- Dalmoburis Park, 1942
- Dalmodes Reitter, 1882
- Dalmomima Raffray, 1908
- Dalmonexus Park, 1942
- Dalmophysis Raffray, 1897
- Globosulus Jeannel, 1950
- Iniocyphus Raffray, 1912
- Leleupiella Jeannel, 1952
- Maya Blattny 1925
- Morana Sharp, 1874
- Nipponobythus Jeannel, 1958
- Phybytharsis Park, 1942
- Rugegius Jeannel, 1952
- Sogaella Jeannel, 1960
- Sunorfa Raffray, 1882
- подрод Sunorfa (Sunorfa) Raffray, 1882
- подрод Sunorfoides (Sunorfa) Raffray, 1913
- Takaorites Jeannel, 1958
- Trimicerus Motschulsky, 1855
- подтриба Natypleurina Newton & Thayer, 1992
- Acrocomus Raffray, 1894
- Apoplectus Raffray, 1890
- Natypleurus Newton & Thayer, 1992
- Nedarassus Raffray, 1895
- Simplicorfa Chandler, 2001
- подтриба Iniocyphina Park, 1951
- триба Machadoini Jeannel, 1951
- Machadous Jeannel, 1951
- триба Proterini Jeannel, 1949
- Aulacobythus Leleup, 1986
- Berlaraxis Jeannel, 1957
- Breguetiella Leleup, 1973
- Bythinoderes Reitter, 1884
- Bythinophanax Reitter, 1884
- Cephalaxis Jeannel, 1960
- Craspedopterus Jeannel, 1950
- Delamarea Jeannel, 1949
- Ectoparyphidius Jeannel, 1964
- Ectoparyphodes Jeannel, 1952
- Ectoparyphus Jeannel, 1949
- Elaphobythus Jeannel, 1952
- Euharmophola Park, 1960
- Gnesion Raffray, 1900
- Goniomellus Jeannel, 1950
- Harmomima Raffray, 1904
- Harmophola Raffray, 1896
- Hypoparyphantus Jeannel, 1953
- Imtempus Reitter, 1882
- Loebliobythus Leleup, 1986
- Mechanicus L.W.Schaufuss, 1887
- Mimoplectus Raffray, 1918
- Neodeuterus L.W.Schaufuss, 1887
- Oxygastrobythus Leleup, 1986
- Pareuplectops Jeannel, 1957
- Paryphantellus Jeannel, 1951
- Paryphopterus Jeannel, 1952
- Phthartomicrus L.W.Schaufuss, 1887
- Platycerobythus Jeannel, 1959
- Proterus Raffray, 1897
- Pseudoterus Raffray, 1893
- Rhamophorus Newton & Chandler, 1989
- Rossites Castellini, 1990
- Salpictomelus Jeannel, 1960
- Ulugurubythus Leleup, 1973
- триба Pygoxyini Reitter, 1909
- Pygoxyon Reitter, 1881
- триба Speleobamini Park, 1951
- Prespelea Park, 1953
- подрод Fusjuguma (Prespelea) Park, 1956
- подрод Prespelea (Prespelea) Park, 1953
- Speleobama Park, 1951
- Prespelea Park, 1953
- триба Tychini Raffray, 1904
- Atychodea Reitter, 1884
- Custotychus Park & Wagner, 1962
- Cylindrarctus L.W.Schaufuss, 1887
- Hesperotychus Schuster & Marsh, 1958
- Hyugatychus Nomura, 1996
- Lucifotychus Park & Wagner, 1962
- Nearctitychus Chandler, 1988
- Ouachitychus Chandler, 1988
- Paratychus Besuchet, 1960
- Tainochus Kurbatov, 1992
- Tychomorphus Jeannel, 1950
- Tychus Leach, 1817
- триба Valdini Park, 1953
- Valda Casey, 1894
- триба Arnylliini Jeannel, 1952
Надтриба Pselaphitae
- надтриба Pselaphitae Latreille, 1802
- триба Arhytodini Raffray, 1890
- Caccoplectinus Chandler & Wolda, 1986
- Caccoplectus Sharp, 1887
- Eichiella Leleup, 1976
- Holozodinus Jeannel, 1950
- Holozodoides Dajoz, 1982
- Holozodus Fairmaire, 1898
- Madabaxyris Dajoz, 1982
- Pachacuti Besuchet, 1987
- Rhytus Westwood, 1870
- Sabarhytus Löbl, 2000
- Tetraglyptinus Jeannel, 1960
- Tetraglyptus Jeannel, 1956
- Tolga Chandler, 2001
- Woldenka Chandler, 1992
- триба Attapseniini Bruch, 1933
- Attapsenius Bruch, 1933
- триба Ctenistini Blanchard, 1845
- Atinus Horn, 1868
- Biotus Casey, 1887
- Centrotoma C.Heyden, 1849
- Chenniopsis Raffray, 1904
- Chennium Latreille, 1807
- Ctenicellus Raffray, 1904
- Ctenisis Raffray, 1890
- Ctenisodes Raffray, 1897
- Ctenisomimus Raffray, 1904
- Ctenisomorphus Raffray, 1890
- Ctenisophanes Jeannel, 1954
- Ctenisophus Raffray, 1900
- Ctenisoschema Jeannel, 1956
- Ctenistes Reichenbach, 1816
- подрод Ctenistes (Ctenistes) Reichenbach, 1816
- подрод Tecnesis (Ctenistes) Peyerimhoff, 1925
- подрод Tecnesites (Ctenistes) Jeannel, 1961
- Ctenistidius Jeannel, 1957
- Ctenistodes L.W.Schaufuss, 1890
- Ctenistodites Jeannel, 1957
- Daveyia Lea, 1912
- Desimia Reitter, 1882
- подрод Desimia (Desimia) Reitter, 1882
- подрод Desimiella (Desimia) Jeannel, 1949
- подрод Xenodesimia (Desimia) Jeannel, 1959
- Edocranes Reitter, 1885
- Enoptostomus Schaum, 1864
- Epicaris Reitter, 1882
- Gnorosus Raffray, 1908
- Hynneophorus Leleup, 1972
- Laphidioderomimus Leleup, 1972
- Laphidioderus Raffray, 1887
- Largeyeus Li & Chen, 1993
- Metactenistes Jeannel, 1956
- Parastectenis Jeannel, 1957
- Poroderopsis Jeannel, 1960
- Poroderus Sharp, 1883
- Sognorus Reitter, 1882
- Stectenidius Jeannel, 1957
- триба Hybocephalini Raffray, 1890
- Acmoeonotus Motschulsky, 1851
- Apharina Reitter, 1882
- Apharinodes Raffray, 1890
- Filigerinus Jeannel, 1949
- Filigerodes Jeannel, 1950
- Hybocephalodes Raffray, 1908
- Hybocephalus Motschulsky, 1851
- Mecochelia Motschulsky, 1851
- Mestogaster Schmidt-Göbel, 1838
- подрод Mestogaster (Mestogaster) Schmidt-Göbel, 1838
- подрод Mestogastridius (Mestogaster) Jeannel, 1952
- Pseudapharina Raffray, 1890
- Stipesa Sharp, 1874
- триба Odontalgini Jeannel, 1949
- Algodontodes Jeannel, 1960
- Algodontus Jeannel, 1955
- Madontalgus Dajoz, 1982
- Odontalgus Raffray, 1877
- Warrumbungle Chandler, 2001
- триба Pachygastrodini Leleup, 1969
- Pachygastrodes Leleup, 1969
- Pachygastrodirius Leleup, 1976
- триба Phalepsini Jeannel, 1949
- Phalepsus Westwood, 1870
- триба Pselaphinae (incertae sedis)
- Ceroncinus Silvestri, 1920
- Greys L.W.Schaufuss, 1890
- триба Pselaphini Latreille, 1802
- Afropselaphus Jeannel, 1950
- Bellenden Chandler, 2001
- Curculionellus Westwood, 1870
- Dicentrius Reitter, 1882
- Geopselaphus Jeannel, 1956
- Hirashimanymus Nomura, 1990
- Kakadu Chandler, 2001
- Mareeba Chandler, 2001
- Margaris L.W.Schaufuss, 1877
- Maydena Chandler, 2001
- Mentraphus Sharp, 1883
- Nabepselaphus Nomura, 2002
- Neopselaphus Jeannel, 1951
- Peckiella Chandler, 2001
- Pselaphaulax Reitter, 1909
- подрод Neopselaphaulax (Pselaphaulax) Jeannel, 1959
- подрод Pselaphaulax (Pselaphaulax) Reitter, 1909
- Pselaphellus Raffray, 1908
- Pselaphischnus Raffray, 1897
- Pselaphogenius Reitter, 1910
- Pselaphophus Raffray, 1890
- Pselaphorites Jeannel, 1952
- Pselaphostomus Reitter, 1909
- Pselaphotheseus Park, 1964
- Pselaphotrichus Besuchet, 1986
- Pselaphus Herbst, 1792
- Tyraphus Sharp, 1874
- триба Schistodactylini Raffray, 1890
- Leanymus Raffray, 1900
- Schistodactylus Raffray, 1883
- триба Tmesiphorini Jeannel, 1949
- Afrotyrus Jeannel, 1950
- Ancystrocerus Raffray, 1893
- Aphanethrix Raffray, 1908
- Brinckidiella Leleup, 1974
- Chandleriella Hlavác, 2000
- Ctenotillus Raffray, 1897
- Dacnotillus Raffray, 1908
- Eudranes Sharp, 1892
- Gasterotropis Raffray, 1914
- Itombworites Jeannel, 1960
- Jardine Chandler, 2001
- Machadoites Jeannel, 1951
- Neosintectes Jeannel, 1964
- Pselaphocerodes Jeannel, 1955
- Pselaphocerus Raffray, 1887
- Pseudophanias Raffray, 1890
- Raphitreodes Newton & Chandler, 1989
- Raphitreus Sharp, 1883
- Riphaterus Jeannel, 1964
- Saltisedes Kubota, 1944
- Smilestethus Cerruti, 1955
- Stethotaphrus Newton & Chandler, 1989
- Syntectodes Reitter, 1882
- Tapiloites Jeannel, 1958
- Tmesiphorinus Leleup, 1971
- Tmesiphorites Jeannel, 1953
- Tmesiphoroides Motschulsky, 1857
- Tmesiphoromimus Löbl, 1964
- Tmesiphorus LeConte, 1849
- Tropeogaster Jeannel, 1949
- Tyrocarius Chandler, 2001
- Xenotmesiphorus Leleup, 1974
- триба Tyrini Reitter, 1882
- подтриба Centrophthalmina Jeannel, 1949
- Camaldosis Jeannel, 1951
- Centrophthalmina Raffray, 1908
- Centrophthalmus Schmidt-Göbel, 1838
- Enantius L.W.Schaufuss, 1877
- подтриба Janusculina Cerruti, 1970
- Janusculus Cerruti, 1970
- подтриба Somatipionina Jeannel, 1949
- Acylobythus Jeannel, 1960
- Acylopselaphus Raffray, 1883
- Acylotyrus Jeannel, 1954
- Apharus Reitter, 1882
- Aploderina Raffray, 1904
- Cercoceroides Raffray, 1896
- Cercoceropsis Raffray, 1904
- Cercocerulus Raffray, 1905
- Circocerus Motschulsky, 1855
- Elaphidipalpus Jeannel, 1964
- Ephimia Reitter, 1882
- Googarna Chandler, 2001
- Hamotidius Jeannel, 1962
- Hamotocellus Raffray, 1912
- Hamotopsis Raffray, 1900
- Hamotus Aubé 1844
- подрод Hamotoides (Hamotus) L.W.Schaufuss, 1888
- подрод Hamotus (Hamotus) Aubé 1844
- Himepion Nomura & Hlavác, 2003
- Horniella Raffray, 1905
- Motschtyrus Chandler, 1999
- Phamisulus Reitter, 1888
- Pselaphocompsus Raffray, 1908
- Pseudohamotus Raffray, 1890
- Pseudotychus Raffray, 1897
- Somatipion L.W.Schaufuss, 1877
- Swan Chandler, 2001
- подтриба Tyrina Reitter, 1882
- Abascantodes Strand, 1928
- Agatyrus Broun, 1917
- Anagonus Fauvel, 1903
- Anitra Casey, 1894
- Bansartiella Leleup, 1995
- Cedius LeConte, 1849
- подрод Cedius (Cedius) LeConte, 1849
- подрод Sinistrocedius (Cedius) Newton & Chandler, 1989
- Ceophyllus LeConte, 1849
- Chalcoplectus Oke, 1925
- Chasoke Chandler, 1987
- Collacerothorax Lea, 1912
- Decumarellus Poggi, 1994
- Durbos Sharp, 1874
- Franziotus Leleup, 1972
- Gerallus Sharp, 1874
- Hamotulus L.W.Schaufuss, 1887
- Indophodes Hlavác, 2003
- Kiera Chandler, 2001
- Labomimus Sharp, 1883
- Lasinus Sharp, 1874
- Lethenomus Raffray, 1895
- Linan Hlavác, 2003
- Marellus Motschulsky, 1851
- Megatyrus Hlavác & Nomura, 2003
- Mipseltyrus Park, 1953
- Narrabeen Chandler, 2001
- Neotyropsis Franz, 1996
- Neotyrus Raffray, 1895
- Nesiotyrodes Jeannel, 1954
- Nomuraius Hlavác, 2003
- Palimbolus Raffray, 1890
- Paralasinus Hlavác & Nomura, 2001
- Phormiobius Broun, 1917
- Plesiotyrus Broun, 1914
- Pselaphodes Westwood, 1870
- Pseudotyropsis Franz, 1996
- Rytus King, 1866
- Spilorhombus Raffray, 1900
- Subulipalpus L.W.Schaufuss, 1877
- Taiwanophodes Hlavác, 2003
- Tasmanityrus Chandler, 1987
- Termitotyrus Borgmeier, 1954
- Tyrinasius Kurbatov, 1993
- Tyrodes Raffray, 1908
- Tyrogatunus Park, 1942
- Tyrogetus Broun, 1893
- Tyromacrus Chandler, 2001
- Tyromorphus Raffray, 1883
- Tyropsidius Franz, 1996
- Tyropsis Saulcy, 1874
- Tyrus Aubé 1833
- Vadoniotus Jeannel, 1954
- Zeatyrus Sharp, 1881
- подтриба Tyrini (incertae sedis)
- Cymbalizon L.W.Schaufuss, 1890
- Dantiscanus L.W.Schaufuss, 1890
- Deuterotyrus L.W.Schaufuss, 1890
- Pammiges L.W.Schaufuss, 1890
- подтриба Centrophthalmina Jeannel, 1949
- триба Arhytodini Raffray, 1890
См. также
Примечания
- 1 2 Chandler D. S.. Biology, morphology, and systematics of the ant-like litter beetle genera of Australia (Coleoptera: Staphylinidae: Pselaphinae). — Memoirs on Entomology, International Vol. 15. — Gainesville, FL, 2001. — viii + 560 p.
- ↑ Park O. A Study in Neotropical Pselaphidae (англ.) // Northwestern University Studies in the Biological Sciences and Medicine : Журнал. — Evanston & Chicago, 1942. — Vol. 1. — P. 1—468. — doi:10.5962/bhl.title.6838. Архивировано 11 октября 2018 года.
- ↑ Мамаев Б. М., Медведев Л. Н. и Правдин Ф. Н. Определитель насекомых европейской части СССР. — Москва: «Просвещение», 1976. — С. 103—187. — 304 с.
- 1 2 3 4 Contribution to the knowledge of Clavigeritae (Coleoptera: Staphylinidae: Pselaphinae) from Fiji and Vanuatu, with the catalogue of Clavigeritae of Oceania Архивная копия от 17 апреля 2016 на Wayback Machine. Acta entomologica musei nationalis Pragae. Published 9.xii.2011. Volume 51(2), pp. 517–528. ISSN 0374-1036
- ↑ Peter Hlaváč, Dominik Vondráček, Alma B. Mohagan. 2018. A new species of the genus Colilodion Besuchet, 1991 (Coleoptera: Staphylinidae: Pselaphinae) from Mindanao, the Philippines Архивная копия от 16 января 2018 на Wayback Machine. Zootaxa. 4370(5):562–568 (Colilodion colongi sp. nov.)
- ↑ Besuchet, C. (1991) Révolution chez les Clavigerinae (Coleoptera, Pselaphidae). Revue Suisse de Zoologie, 98 (3), 499–515. https://doi.org/10.5962/bhl.part.79801
- ↑ Parker, J. & Grimaldi, D.A. (2014) Specialized myrmecophily at the ecological dawn of modern ants. Current Biology, 24, 2428–2434. https://doi.org/10.1016/j.cub.2014.08.068
- ↑ Yin, Z.W. & Cuccodoro, G. (2016) Colilodion schulzi sp. n. (Coleoptera: Staphylinidae: Pselaphinae) from Palawan, the Philippines, with habitus photographs and a revised key to all Colilodion species. Revue suisse de Zoologie, 123 (1), 153–158.
- ↑ Brounea, a new genus (Coleoptera: Staphylinidae: Pselaphinae) from New Zealand, with descriptions of nine new species. Дата обращения: 9 января 2018. Архивировано 9 января 2018 года.
- 1 2 Chandlerea and Nunnea (Coleoptera: Staphylinidae: Pselaphinae), Two New Genera from New Zealand with Descriptions of Three New Species
Литература
- Курбатов С. А. 23. Сем. Pselaphidae — Ощупники // Определитель насекомых Дальнего Востока СССР. Том III. Жесткокрылые, или жуки. Часть 1. Л.: Наука, 1989. — С. 346—362.
- Курбатов С. А. 2007. Жуки-ощупники (Coleoptera, Pselaphidae) Дальнего Востока России (Автореф. канд. дисс.). Москва — 2007. 24 с.
- Newton A. F. & Chandler D. S.. World catalog of the genera of Pselaphidae (Coleoptera) (англ.) // Fieldiana: Zoology (N.S.) : Журнал. — 1989. — Vol. 53. — P. 1—93. — doi:10.5962/bhl.title.3209.
- Park O. A Study in Neotropical Pselaphidae (англ.) // Northwestern University Studies in the Biological Sciences and Medicine : Журнал. — Evanston & Chicago, 1942. — Vol. 1. — P. 1—468. — doi:10.5962/bhl.title.6838..