Pselaphodes jizushanus
| Pselaphodes jizushanus | ||||
|---|---|---|---|---|
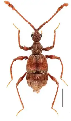
![]() Самец жука Pselaphodes jizushanus | ||||
| Научная классификация | ||||
|
Домен: Царство: Подцарство: Без ранга: Без ранга: Без ранга: Без ранга: Тип: Подтип: Надкласс: Класс: Подкласс: Инфракласс: Надотряд: Отряд: Подотряд: Инфраотряд: Надсемейство: Семейство: Подсемейство: Надтриба: Pselaphitae Триба: Род: Вид: Pselaphodes jizushanus |
||||
| Международное научное название | ||||
| Pselaphodes jizushanus Yin, Li & Zhao, 2011 | ||||
| ||||
Pselaphodes jizushanus (лат.) — вид мелких коротконадкрылых жуков рода Pselaphodes из подсемейства ощупники (Pselaphinae, Staphylinidae). Название дано по месту обнаружения типовой серии[1][2].
Распространение
Юго-Восточная Азия: Китай, Yunnan, Jizushan Mountain, 25°57'37"N, 100°22'44"E, на высоте 2400 м[1][2].
Описание
Мелкие жуки-ощупники, длина тела около 3 мм, красновато-коричневого цвета. Голова длиннее своей ширины (длина головы 0,63 мм, ширина головы 0,59 мм). Средние голени с апикальным выступом (передние голени без таковых модификаций). Антенномер VII простой по форме, немодифицированный, почти симметричный. Апикальные членики IX—XI жгутика усика увеличенные. Глаза примерно из 40 фасеток. Второй тарзомер простой, линейный, не увеличенный. Срединная метавентральная ямка отсутствует. Нижнечелюстные щупики (по крайней мере, некоторые сегменты из группы II—IV) асимметричные, округло расширенные или слегка выступающие латерально. Голова с фронтальной ямкой. Глаза выступающие. Усики прикрепляются у переднего края головы; булава усиков 3-члениковая; скапус отчётливо длиннее педицелля. Ноги тонкие и длинные; бёдра утолщённые. В основании надкрылий по две ямки. Брюшко короткое (его длина явно меньше ширины)[1][3][2].
Систематика
Впервые описан в 2011 году китайскими колеоптерологами Zi-Wei Yin и Li-Zhen Li (Shanghai Normal University, Шанхай, Китай). По своим признакам наиболее близок к видам Pselaphodes aculeus и Pselaphodes torus[3][2].
Примечания
- 1 2 3 Zi-Wei Yin, Li-Zhen Li. Notes on Michael Schülke’s pselaphine collections from China. — Tyrini. I. genera Labomimus Sharp, Linan Hlaváč and Pselaphodes Westwood (Coleoptera, Staphylinidae, Pselaphinae) (англ.) // ZooKeys : Журнал. — Sofia: Pensoft Publishers, 2012. — Vol. 251. — P. 83—118. — ISSN 1313-2989. Архивировано 9 декабря 2018 года.
- 1 2 3 4 Huang Meng-Chi, Li-Zhen Li & Zi-Wei Yin. Eleven new species and a new country record of Pselaphodes (Coleoptera: Staphylinidae: Pselaphinae) from China, with a revised checklist of world species (англ.) // Acta Entomologica Musei Nationalis Pragae : Журнал. — Прага: Musei Nationalis Pragae, 2011. — Vol. 58(2). — P. 457–478. — ISSN 1804-6487. — doi:10.2478/aemnp-2018-0035. Архивировано 9 декабря 2018 года.
- 1 2 Yin, Z. W., Hlaváč, P. and L. Z. Li. Further studies on the Pselaphodes complex of genera from China (Coleoptera, Staphylinidae, Pselaphinae) (англ.) // ZooKeys : Журнал. — Sofia: Pensoft Publishers, 2013. — Vol. 275. — P. 23–65. — ISSN 1313-2989. — doi:10.3897/zookeys.275.4571. — PMID 23794810. — PMC 3677326. Архивировано 9 декабря 2018 года.
Литература
- Hlaváč P., Nomura S. A taxonomic revision of Tyrini of the Oriental Region. I. Paralasinus (Coleoptera, Staphylinidae, Pselaphinae), a new genus of Tyrina from Indochina // Elytra. — 2001. — Vol. 29. — P. 163—174.
- Hlaváč P. A taxonomic revision of Tyrini of the Oriental Region II. Systematic study on the genus Pselaphodes (Coleoptera: Staphylinidae: Pselaphinae) and its allied genera // Annales de la Société entomologique de France. — 2003. — Vol. 38. — P. 283—297.
- Yin, Z. W., Li, L. Z. and M. J. Zhao. 2010. Taxonomical study on the genus Pselaphodes Westwood (Coleoptera: Staphylinidae: Pselaphinae) from China. Part I. Zootaxa, 2512: 1-25.
- Yin, Z. W., Li, L. Z. and M. J. Zhao. 2011. Taxonomic Study on the genus Pselaphodes Westwood (Coleoptera, Staphylinidae, Pselaphinae) from China. Part II Annales Zoologici, 61: 463—481.
- Yin, Z. W., Li, L. Z. and F. K. Gu. 2012. Taxonomic study on the genus Pselaphodes Westwood (Coleoptera, Staphylinidae, Pselaphinae) from China. Part III. Zootaxa, 3189: 29-38.
