Стафилиниды
| Стафилиниды | ||||||||||||
|---|---|---|---|---|---|---|---|---|---|---|---|---|
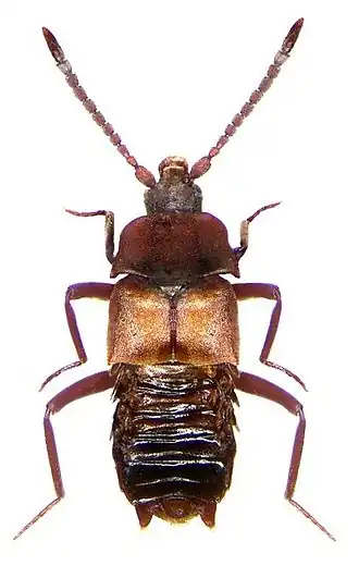
![]() Staphylinus erythropterus — типовой вид типового рода семейства — Staphylinus | ||||||||||||
| Научная классификация | ||||||||||||
|
Домен: Царство: Подцарство: Без ранга: Без ранга: Без ранга: Без ранга: Тип: Подтип: Надкласс: Класс: Подкласс: Инфракласс: Надотряд: Отряд: Подотряд: Инфраотряд: Надсемейство: Семейство: Стафилиниды |
||||||||||||
| Международное научное название | ||||||||||||
| Staphylinidae Lameere, 1900 | ||||||||||||
| Подсемейства | ||||||||||||
|
||||||||||||
| ||||||||||||



Стафилини́ды, или коротконадкрылые жуки, а также: стафилины, жуки-хищники[1] (лат. Staphylinidae) — огромное по численности видов семейство жесткокрылых. Они легко определяются по коротким надкрыльям. К семейству относят 63 495 описанных видов и 3762 родов (Klimaszewski et al., 2018)[2][3] (с учётом включения в него в 2009 году семейства Сцидмениды), что делает его крупнейшим в мире семейством животных[4].
Палеонтология
Древнейшим представителем семейства ранее считался триасовый жук Leehermania prorova[5], однако позднее его принадлежность к стафилинидам была поставлена под сомнение[6]. Самые ранние достоверные находки стафилинид датируются юрским периодом (Mesapatetica aenigmatica)[7][8]. Также найдены в меловых отложениях[9], в ровенском, балтийском (эоцен)[10][11] и доминиканском янтарях (миоцен)[12]. Стафилинида Cretotrichopsenius burmiticus, обнаруженная в бирманском янтаре, подобно ряду современных представителей семейства, паразитировала на термитах[13].
Распространение
Встречаются повсеместно. Фауна России включает более 2300 видов из 23 подсемейств. В Чехословакии отмечено 1328 видов (Bohac, 1993), в Литве — 455 видов (Монсявичюс, 1987), в Канаде и Аляске — 1197 видов (Campbell, Davies, 1991)[14], в Мексике — 1938 видов[15], в Колумбии — более 800 подтверждённых видов из 230 родов (потенциально до 5 тысяч видов)[16]. В Австралии более 2400 видов, в Новой Зеландии 936 нативных и 85 адвентивных видов и 178 родов из 16 подсемейств; в Северной Америке (к северу от Мексики) 3974 вида[17]. В Бразилии обнаружено 2812 видов из 471 родов и 16 подсемейств (крупнейшая группа из 116 356 валидных видов животных Бразилии, включая 94 000 видов членистоногих)[18][19]. В Латинской Америке зафиксировано 11 675 видов в 1075 родах, в том числе в Южной Америке 7773 видов (включая 7079 эндемиков; Asenjo et al., 2019)[20]. Из 55 000 видов по крайней мере 250 видов из 15 подсемейств были интродуцированы за пределы своих нативных ареалов, предположительно в результате транспортировки с товарами: Habrocerus capillaricornis (Habrocerinae); Philonthus spinipes из Японии и Китая завезён в Европу (Великобритания и Россия), Кавказ, Казахстан. Paraphloeostiba gayndahensis (Omaliinae) из Австралии проник в Европу и Северную Америку. Некоторые стали космополитными, например Gabronthus thermarum (подтриба Philonthina)[21].
Описание
Длина от 0,5 до 50 миллиметров, но большая их часть не превышает 8 мм. Отличаются короткими надкрыльями (не покрывающими 4, 5 и 6-й тергиты брюшка) и, как правило, узким телом. Основная окраска красновато-коричневая, буровато-чёрная, иногда с жёлтыми или красными отметинами. Брюшко состоит из шести-семи подвижных сегментов. Усики обычно нитевидные (у некоторых, например у ощупников, встречаются булавовидные). Тело гладкое, иногда с морщинками и микроямками, у мирмекофильных видов (Pselaphinae, Aleocharinae) покрыто трихомами, пучками волосков и микрочешуйками, ассоциированными с железами[22][23].
Короткие надкрылья встречаются и у жуков из других семейств (например, среди Histeridae; Limulodes и другие Ptiliidae; Nicrophorus из Silphidae; Trypherus из Cantharidae; Conotelus из Nitidulidae; Rhipidius из Rhipiphoridae; Meloe из Meloidae; Inopeplus из Salpingidae), однако у них не столь подвижное брюшко и надкрылья не прямоугольные. В то же время среди отдельных групп стафилинид есть исключения: брюшко менее подвижно (среди Micropeplinae и Pselaphinae), тело широкое и надкрылья покрывают брюшко (почти покрывают у Scaphidiinae и полностью закрывают у Scydmaenidae)[24][25].
Усики 11-члениковые, но встречаются исключения с редуцированным числом сегментов. 9 члеников в усиках в подсемействе Micropeplinae; 3, 4, 5, 6, 7, 8, 9, 10, 11 члеников у Pselaphinae; 10 или 11 у Aleocharinae; 9, 10 и 11 у Euaesthetinae; 10 или 11 у Leptotyphlinae). Усики нитевидные или слегка и неявно булавовидные (Apateticinae, Steninae: некоторые Glypholomatinae, Omaliinae, Proteininae, Dasycerinae, Pselaphinae, Scaphidiinae, Euaesthetinae и Leptotyphlinae; некоторые Aleocharinae) или с ясной булавой (Empelinae, Micropeplinae, Microsilphinae, Megalopsidiinae, большинство Glypholomatinae; некоторые Pselaphinae, Scaphidiinae, Euaesthetinae и Leptotyphlinae) из 1-6 или более члеников (чаще 3-5)[22].
Пронотум варьирует по форме и размерам, соотношение длины к ширине от 0,3 до 3,5 (самый короткий у Empelinae, Proteininae, Micropeplinae и Aleocharinae: Trichopseniini; самый длинный пронотум у Aleocharinae: Mimanommatini)[22].
Лапки, как правило, 5-члениковые (формула 5-5-5), менее часто встречается сочетание 5-5-4 (часть Euaesthetinae), 4-5-5 или 4-4-5 (многие Aleocharinae). 4-4-4 (некоторые Omaliinae, Proteininae, Micropeplinae, Aleocharinae, Osoriinae, Oxytelinae и Euaesthetinae), 3-4-4 (некоторые Aleocharinae), 3-3-3 (Neophoninae, Dasycerinae, Protopselaphinae; большинство Pselaphinae; некоторые Proteininae, Aleocharinae, Osoriinae, Oxytelinae и Leptotyphlinae: один Pseudopsinae), 2-2-2 (некоторые Aleocharinae, Osoriinae, Oxytelinae, и Leptotyphlinae, и у некоторых Pselaphinae), или 5-4-4 (Staphylininae; Atanygnathus)[22].
Задние крылья обычно хорошо развиты (жуки летают), компактно складываются под надкрыльями (как у уховёрток). Но в различных группах стафилинид отмечена редукция задних крыльев, в том числе у всех представителей подсемейства Leptotyphlinae. Иногда наблюдается крыловой диморфизм или полиморфизм, крыловая асимметрия[22].
Брюшко состоит из шести (III—VIII) или семи сегментов (II—VIII у большинства Oxytelinae, III—IX у некоторых самцов Pselaphinae), стерниты видимы и подвижны. Иногда в брюшке 4 сегмента (III—VII у некоторых самок Pselaphinae, у части Microsilphinae и Scaphidiinae, у самцов Habrocerinae) или только 3 сегмента (слитые III—VI плюс VII и VIII в трибе Cyathigerini, Pselaphinae). IX—X сегменты телескопически втянуты внутрь VIII[22].
Личинки и яйца
Яйца стафилинид как правило белого цвета, сферической или грушевидной формы. Яйца некоторых родов в подсемействе Staphylininae (например, Philonthus) имеют выраженную поверхностную скульптуру, позволяющую идентифицировать их как минимум на уровне видовой группы. Личинки камподеевидные (иногда называемые стафилиниформные), вытянутые и сплющенные. В некоторых подсемействах (Paederinae, Staphylininae и, в меньшей степени, у их ближайших родственников) голова относительно более сильно склеротизирована, и есть отчётливая «шея» (затылочное сужение головы)[25].
Предкуколки в подсемействе Steninae, по крайней мере, большинство видов внутри подсемейства Aleocharinae и рода Astenus (Paederinae) плетут шёлковый кокон, в котором они окукливаются. Куколки обтектные (ноги полностью прикреплённые и почти «приклеены» всеми своими частями к поверхности тела), пигментированные и склеротизированные в подсемействе Staphylininae, но эксаратные (ноги свободные), белые и несклеротизованные во всех других подсемействах. В целом, преимагинальные стадии развиваются быстро, от нескольких дней до нескольких недель, а взрослые живут значительно дольше[25].
Биология и экология
Встречаются в разнообразных условиях: помёт, торф, грибы, кора, падаль, норы млекопитающих, гнёзда птиц, гнёзда общественных насекомых (муравьи, осы, пчелы, термиты), пещеры, растения, цветы и т. д. Многие выделяют сильнопахнущие и раздражающие вещества для отпугивания врагов[25].
Большинство видов хищники или падальщики, но встречаются сапрофаги (используют разложившиеся растительные вещества) и фитофаги (в качестве пищи используется пыльца, цветы, водоросли и т. д.). Хищники, микофаги, сапрофаги и фитофаги встречаются в 18, 16, 14 и 5 подсемействах, соответственно[21]. Сапрофагия считается архетипом для стафилинид и развита как основной тип питания в подсемействах Piestinae, Osoriinae, Proteininae, возможно, с некоторой адаптацией к микофагии. Микофагия развилась среди Oxyporinae, Scaphidiinae и некоторых Tachyporinae, и нескольких Aleocharinae. Фитофагия развилась у некоторых Oxytelinae — имаго и личинки Bledius используют диатомовые водоросли, а как минимум один вид Apocellus повреждает цветы, фитофагия отмечена у одного вида Carpelimus и одного Osorius (Osoriinae) и у Omaliinae. Сапрофагия эволюционировала в хищничество в нескольких подсемействах (многие Tachyporinae, большинство Aleocharinae, Pselaphinae, Euaesthetinae, Steninae, Paederinae и Staphylininae), представляя большую часть видов всего семейства, то есть почти все Staphylinidae — факультативные хищники. Известны примеры специализации: Scydmaeninae и Oligota (Aleocharinae) поедают клещей, Erichsonius (Staphylininae) поедают почвенных круглых червей нематод, Odontolinus и некоторые Belonuchus и Platydracus (Staphylininae) хищники личинок или куколок комаров на водных растениях (в заполненных водой прицветниках Heliconia, Heliconiaceae), один вид Hesperus (Staphylininae) хищничает на личинках комаров, обитающих в междоузлиях бамбука, а Eulissus (Staphylininae) — на навозных жуках-скарабеидах. Представители рода Aleochara (Aleocharinae) стали паразитоидами пупариев мух[25].
Имаго некоторых Omaliinae приурочены к цветам, а некоторые виды способны к опылению цветковых растений. Например, Pelecomalium testaceum (Mannerheim) (Omaliinae) опыляют цветки Lysichiton americanum Hultén & St. John (семейство ароидные) в горных регионах тихоокеанского побережья США и Канады. Также, возможно, что жуки Polyobus spp. (Aleocharinae) опыляют цветки Espeletia spp. (семейство астровые) в северных районах Анд Южной Америки. Жуки Charoxus spp. (Aleocharinae) имеют ещё более специализированные облигатные взаимоотношения с растениями — их имаго в Неотропике приурочены к сикониям фикусов Ficus spp. (семейство тутовые), внутри которых они откладывают яйца, но имаго и личинки питаются наездниками-опылителями (Agaonidae) инжира и других растений[25].
Субсоциальное или пресоциальное поведение обнаружено у нескольких видов. Например, у Bledius и Platystethus (Oxytelinae) и Eumicrota (Aleocharinae). Имаго строят камеры в которых содержат и охраняют свой расплод (яйца и личинок), Bledius на песчаных или илистых побережьях, Platystethus в навозе копытных млекопитающих, а Eumicrota в грибах[25].
Стафилиниды имеют широкие отношения с социальными и коммунальными насекомыми, с термитами и муравьями — тысячи видов Aleocharinae и многие виды нескольких других подсемейств являются инквилинами в гнёздах этих социальных насекомых, некоторые из них имеют причудливые структурные и поведенческие адаптации. Emus (Staphylininae) вторгается в гнёзда пчёл в Европе, а виды рода Euvira (Aleocharinae) развиваются в коммунальных гнёздах некоторых бабочек в Центральной Америке[25].
Выделяют несколько специализированных триб и родов стафилинид (атемелес, ломехуза, Pselaphinae), специализированных на сожительстве с муравьями. А некоторые виды жуков путешествуют вместе с муравьями-кочевниками. С родом муравьёв Eciton связаны рода жуков Ecitoxenidia, Ecitonidia, Ecitocala, Ecitoxenides, Ecitosymbia, Ecitoxenia, трибы Ecitocharini и Ecitogastrini (Aleocharinae), а с родом муравьёв Dorylus жуки Dorylogastrini и Dorylomimini (Aleocharinae).
Значение для человека
Специалисты по биологическому контролю наблюдали хищничество различных неспециализированных видов Staphylinidae на личинок мух и других беспозвоночных и импортировали различных Staphylinidae в Италию, Гавайи, материковую часть США и остров Пасхи, чтобы воспользоваться предполагаемыми преимуществами — без очевидного успеха. Были завезены виды Belonuchus, Creophilus, Ocypus, Philonthus, Philothalpus, Thyreocephalus (Staphylininae) и Paederus (Paederinae). Другие попытки были связаны с более специализированными Oligota (Aleocharinae) против паутинных клещей в Восточной Африке и Aleochara против мухи-жигалки Haematobia irritans (Muscidae) в материковой части США, но опять же без особого успеха. Текущие попытки в Европе связаны с сохранением местных стафилинид, включая Tachyporus (Tachyporinae) как хищников злаковых тлей и Aleochara как хищников корневых личинок мух-цветочниц Delia (включая вспомогательное использование)[25].
Присутствие стафилинид на трупах играет определённую роль в судебной энтомологии. Известно, что контакт со стафилинидами-синекрылами (Paederus) может вызвать дерматит на коже человека, токсин педерин может быть использован для терапевтического воздействия, а некоторые виды Paederus являются ценными хищниками вредителей сельскохозяйственных культур[25].
Систематика
В современном широком таксономическом объёме включает 63 495 описанных видов и 3762 родов (Klimaszewski et al., 2018). Подсемейство Aleocharinae является крупнейшим среди всех групп стафилинид и включает более 16 537 видов, 1310 родов в 62 трибах[2][4]. Ранее семейство включало более 45 000 видов (на 1998 год), объединяемых в 32 подсемейства (31 современное и 1 ископаемое), около 400 триб (иногда группируемых в надтрибы) и около 3 800 родов (Herman, 2001; с учётом того факта, что ранее самостоятельные семейства Pselaphidae, Dasyceridae, Scaphidiidae и Brathinidae теперь относятся к стафилинидам в качестве подсемейств). Крупнейшие подсемейства: Aleocharinae (12182 вида, 1740 родов), Pselaphinae (8415, 1103), Staphylininae (6642, 282), Paederinae (5962, 225), Steninae (2109, 2), Osoriinae (2058, 105), Oxytelinae (2000, 48)[26]. Кроме того, ежегодно описывается около 400 новых для науки видов стафилинид. При этом некоторые учёные считают, что 3/4 тропических видов остаются ещё не описанными.
В 2009 году в результате сравнительного анализа 211 признаков имаго и личинок (включая секвенирование 18S rDNA) было доказано (Grebennikov & Newton, 2009), что Сцидмениды (более 4800 видов) являются одной из групп жуков-стафилинид, куда они и были в итоге включены в качестве подсемейства[4]. За последние годы в состав Staphylinidae были включены бывшие таксоны Brathinidae (ныне часть подсемейства Omaliinae), Dasyceridae (сейчас Dasycerinae), Empelidae (теперь Empelinae), Glypholomatini (бывшая триба из семейства Silphidae), Microsilphinae (бывшее подсемейство из Silphidae), Pselaphidae (теперь Pselaphinae), Scydmaenidae (ныне Scydmaeninae) и Scaphidiidae (теперь в статусе подсемейства Scaphidiinae)[27][28].
После этого объединения семейство Стафилиниды стало крупнейшим среди всех животных семейством организмов, включающим около 63 000 видов жуков. Ранее крупнейшим считали семейство жуков-долгоносиков (51 000 видов)[4].
Филогения
Выделяют 4 основные линии стафилинид (Lawrence and Newton, 1995)[28][29][30][31]:
- Omaliine-группа: Glypholomatinae, Microsilphinae, Omaliinae, Empelinae, Proteininae, Micropeplinae, Neophoninae, Dasycerinae, Protopselaphinae, Pselaphinae, Scydmaeninae;
- Tachyporine-группа: Phloeocharinae, Olisthaerinae, Tachyporinae, Trichophyinae, Habrocerinae, Aleocharinae;
- Oxyteline-группа: Trigonurinae, Apateticinae, Scaphidiinae, Piestinae, Osoriinae, Oxytelinae;
- Staphylinine-группа: Oxyporinae, Megalopsidiinae, Steninae, Euaesthetinae, Solieriinae, Leptotyphlinae, Pseudopsinae, Paederinae, Staphylininae (включая Xantholininae многих авторов).
Кладограмма подсемейств стафилинид (Newton and Thyer, 2007; Grebennikov and Newton, 2009):
| |||||||||||||||||||||||||||||||||||||||||||||||||||||||||||||||||||||||||||||||||||||||||||||||||||||||||||||||||||||||||||||||||||||
Классификация
Aleocharinae Fleming, 1821
- Триба Dorylogastrini Wasmann 1916
- Berghoffia Kistner, 2003
- Dorylogaster Wasmann, 1904
- Триба Dorylomimini Wasmann 1916
- Dorylocratus Wasmann, 1916
- Dorylomimus Wasmann, 1902
- Dorylonannus Wasmann, 1916
- Jeanneliusa Bernhauer, 1936
- Триба Ecitocharini Seevers, 1965
- Campbellia Kistner & Jacobson, 1990
- Ecitochara Wasmann, 1887
- Ecitodaemon Reichensperger, 1939
- Ecitomorpha Wasmann, 1889
- Ecitophya Wasmann, 1900
- Ecitoschneirla Kistner & Jacobson, 1990
- Ecitosymbia Bruch, 1923
- Ecitoxenia Wasmann, 1900
- Retteneciton Kistner & Jacobson, 1990
- Seeverseciton Kistner & Jacobson, 1990
- Триба Ecitogastrini Fenyes, 1918
- Ecitogaster Wasmann, 1900
- Триба Aleocharini Fleming, 1821
- Aleochara Gravenhorst, 1802
- Tinotus Sharp, 1883
- Триба Oxypodini Thomson, 1859
- Подтриба Oxypodina Thomson, 1859
- Acrostiba Thomson, 1858
- Amarochara Thomson, 1858
- Calodera Mannerheim, 1830
- Cephalocousya Lohse, 1971
- Chanoma Blackwelder, 1952
- Chilomorpha Krasa, 1914
- Crataraea Thomson, 1858
- Devia Blackwelder, 1952
- Dexiogya Thomson, 1858
- Haploglossa Kraatz, 1856
- Hygropora Kraatz, 1856
- Ilyobates Kraatz, 1856
- Ischnoglossa Kraatz, 1856
- Mniusa Mulsant & Rey, 1875
- Ocalea Erichson, 1837
- Ocyusa Kraatz, 1856
- Oxypoda Mannerheim, 1830
- Parocyusa Bernhauer, 1902
- Pentanota Bernhauer, 1905
- Phloeopora Erichson, 1837
- Poromniusa Ganglbauer, 1895
- Pyroglossa Bernhauer, 1901
- Stichoglossa Fairmaire & Laboulbene,1856
- Thiasophila Kraatz, 1856
- Подтриба Dinardina Mulsant & Rey, 1873
- Dinarda Samouelle, 1819
- Подтриба Meoticina Seevers, 1978
- Meotica Mulsant & Rey, 1873
- Подтриба Tachyusina Thomson, 1859
- Brachyusa Mulsant & Rey, 1874
- Dasygnypeta Lohse, 1974
- Gnypeta Thomson, 1858
- Ischnopoda Stephens, 1835
- Подтриба Oxypodina Thomson, 1859
- Триба Athetini Casey, 1910
- Atheta Thomson, 1858
- Триба Falagriini Mulsant & Rey, 1873
- Borboropora Kraatz, 1862
- Falagria Samouelle, 1819
- Myrmecopora Saulcy, 1865
- Bohemiellina Machulka, 1941
- Myrmecocephalus MacLeay, 1871
- Триба Lomechusini Fleming, 1821 (= Myrmedoniini Thomson, 1867)
- Drusilla Samouelle, 1819
- Ломехуза (Lomechusa Gravenhorst, 1806)
- Lomechusoides Tottenham, 1939
- Zyras Stephens, 1835
- Триба Homalotini Heer, 1839
- Подтриба Gyrophaenina Kraatz, 1856
- Agaricochara Kraatz, 1856
- Encephalus Kirby, 1832
- Gyrophaena Mannerheim, 1830
- Подтриба Bolitocharina Thomson, 1859
- Bolitochara Mannerheim, 1830
- Euryusa Erichson, 1837
- Heterota Mulsant & Rey, 1874
- Leptusa Kraatz, 1856
- Phymatura J. Sahlberg, 1876
- Tachyusida Mulsant & Rey, 1872
- Подтриба Silusina Fenyes, 1918
- Silusa Erichson, 1837
- Подтриба Homalotina Heer, 1839
- Anomognathus Solier, 1849
- Homalota Mannerheim, 1830
- Pseudomicrodota Machulka, 1935
- Thecturota Casey, 1893
- Rhopalocerina Reitter, 1909
- Clavigera Scriba, 1859
- Cyphea Fauvel, 1863
- Подтриба Gyrophaenina Kraatz, 1856
- Триба Placusini Mulsant & Rey, 1871
- Placusa Erichson, 1837
- Триба Autaliini Thomson, 1859
- Autalia Samouelle, 1819
- Триба Phytosini Thomson, 1867
- Arena Fauvel, 1862
- Phytosus Curtis, 1838
- Триба Diglottini Jacobson, 1909
- Diglotta Champion, 1887
- Триба Hygronomini Thomson, 1859
- Hygronoma Erichson, 1837
- Триба Hypocyphtini Laporte de Castelnau, 1835 (= Oligotini Thomson, 1859)
- Cypha Samouelle, 1819
- Holobus Solier, 1849
- Oligota Mannerheim, 1830
- Триба Myllaenini Ganglbauer, 1895
- Myllaena Erichson, 1837
- Триба Gymnusini' Heer, 1839
- Gymnusa Gravenhorst, 1806
- Триба Deinopsini Sharp, 1883
- Deinopsis Matthews, 1838
Apateticinae Fauvel, 1895
Dasycerinae Reitter, 1887
Empelinae Newton & Thayer, 1992
Euaesthetinae Thomson, 1859
- Edaphus Motschulsky, 1857
- Euaesthetus Gravenhorst, 1806
Glypholomatinae Jeannel, 1962
Habrocerinae Mulsant & Rey, 1875
- Habrocerus Erichson, 1839
Leptotyphlinae Fauvel, 1874
Megalopsidiinae Leng, 1920
Micropeplinae Leach, 1815
- Arrhenopeplus Koch, 1937
- Micropeplus Latreille, 1809
Microsilphinae Crowson, 1950
Neophoninae Fauvel, 1905
Olisthaerinae Thomson, 1859
- Olisthaerus Dejean, 1833
- Триба Eusphalerini Hatch, 1957
- Eusphalerum Kraatz, 1857
- Триба Omaliini MacLeay, 1825
- Acrolocha Thomson, 1858
- Acrulia Thomson, 1858
- Hapalaraea Thomson, 1858
- Hypopycna Mulsant & Rey, 1880
- Micralymma Westwood, 1837
- Omalium Gravenhorst, 1802
- Phloeonomus Heer, 1839
- Phloeostibia Thomson, 1858
- Phyllodrepa Thomson, 1859
- Pycnoglypta Thomson, 1858
- Xylodromus Heer, 1839
- Xylostibia Ganglbauer, 1895
- Триба Anthophagini Thomson, 1859 (= Brathininae LeConte, 1861)
- Триба Coryphiini Portevin, 1929
- Boreaphilus Sahlberg, 1832
- Coryphium Stephens, 1834
- Coryphiomorphus Zerche, 1988
- Eudectus Redtenbacher, 1856
Osoriinae Erichson, 1839
Oxytelinae Fleming, 1821
- Триба Delasterini Reitter, 1909
- Deleaster Erichson, 1839
- Syntomium Curtis, 1828
- Триба Cophrophilini Heer, 1839
- Coprophilus Latreille, 1829
- Coprostygnus
- Coprotrichus
- Homalotrichus
- Триба Thinobiini J. Sahlberg, 1876
- Триба Oxytelini Fleming, 1821
- Anotylus Thomson, 1859
- Oxytelus Gravenhorst, 1802
- Platystethus Mannerheim, 1830
Oxyporinae Fleming, 1821
- Oxyporus Fabricius, 1775
- Стафилин рыжий (Oxyporus rufus Linnaeus)
Paederinae Fleming, 1821
- Achenium Leach, 1819
- Astenus Stephens, 1833
- Chloecharis Lynch, 1884
- Lathrobium Gravenhorst, 1802
- Lithocharis Dejean, 1833
- Luzea Blackwelder, 1952
- Medon Stephens, 1833
- Ochthephilum Stephens, 1829
- Paederidus Mulsant & Rey, 1877
- Paederus Fabricius, 1775
- Стафилин береговой (Paederus riparius Linnaeus)
- Pseudomedon Mulsant & Rey, 1877
- Rugilus Samouelle, 1819
- Scopaeus Erichson, 1840
- Sunius Stephens, 1829
Phloeocharinae Erichson, 1839
- Phloeocharis Mannerheim, 1830
Piestinae Erichson, 1839
Proteininae Erichson, 1839
- Megarthrus Curtis, 1829
- Metopsia Wollaston, 1854
- Proteinus Latreille, 1796
Protopselaphinae Newton & Thayer, 1995
Pselaphinae Latreille, 1802
- Триба Euplectini LeConte, 1861
- Bibloplectus Reitter, 1882
- Bibloporus Thomson, 1859
- Euplectus Leach, 1817
- Leptoplectus Casey, 1908
- Meliceria Raffray, 1898
- Plectophloeus Reitter, 1891
- Pseudoplectus Reitter, 1881
- Saulcyella Reitter, 1901
- Trimium Aubé, 1833
- Триба Batrisini Reitter, 1882
- Batrisodes Reitter, 1882
- Batrisus Aubé, 1833
- Триба Goniacerini Reitter, 1882 (1872)
- Amauronyx Reitter, 1881
- Brachygluta Thomson, 1859
- Bryaxis Kugelann, 1794
- Bythinus Leach, 1817
- Reichenbachia Leach, 1826
- Rybaxis Saulcy, 1876
- Trichonyx Chaudoir, 1845
- Trissemus Jeannel, 1949
- Tychus Leach, 1817
- Триба Pselaphini Lateille, 1802
- Centrotoma Heyden, 1849
- Chennium Latreille, 1807
- Pselaphaulax Reitter, 1909
- Pselaphus Herbst, 1792
- Tyrus Aubé, 1833
- Триба Clavigerini Leach, 1815
- Claviger Preyssler, 1790
Pseudopsinae Ganglbauer, 1895
Scaphidiinae Latreille, 1807
- Триба Scaphidiini Latreille, 1807
- Scaphidium Olivier, 1790
- Триба Scaphisomatini Casey, 1894
- Scaphisoma Leach, 1815
Solieriinae Newton and Thayer, 1992
Staphylininae Latreille, 1802
- Триба Xantholinini Erichson, 1839
- Gauropterus Thomson, 1856
- Gyrohypnus Mannerheim, 1830
- Hypnogyra Casey, 1906
- Leptacinus Erichson, 1839
- Leptophius Coiffait, 1983
- Megalinus Mulsant & Rey, 1877
- Nudobius Thomson, 1860
- Phacophallus Coiffait, 1956
- Xantholinus Dejean, 1821
- Триба Othiini Thomson, 1859
- Atrecus Jacquelin du Val, 1856
- Othius Stephens, 1839
- Триба Philonthini Kirby, 1837
- Bisnius Stephens, 1829
- Cafius Stephens, 1829
- Erichsonius Fauvel, 1874
- Gabrius Stephens, 1833
- Gabronthus Tottenham, 1955
- Neobisnius Ganglbauer, 1895
- Филонты (Philonthus Curtis, 1829)
- Филонт черноватый (Philonthus nigrita Gravenhorst)
- Rabigus Mulsant & Rey, 1876
- Remus Holme, 1837
- Триба Staphylinini
- Подтриба Amblyopinina
- Подтриба Staphylinina Latreille, 1802
- Creophilus Leach
- Стафилин падальный (Creophilus maxillosus Linnaeus) [серый]
- Dinothenarus Thomson, 1858
- Стафилин пушистый (Dinothenarus pubescens De Geer)
- Emus Samouelle, 1819
- Стафилин волосатый (Emus hirtus Linnaeus) [мохнатый]
- Ocypus Samouelle, 1819
- Стафилин пахучий (Ocypus olens Muller)
- Ontholestes Ganglbauer, 1895
- Platydracus Thomson, 1858
- Стафилины (Staphylinus Linnaeus, 1758 )
- Стафилин великолепный (Staphylinus caesareus Cederhjelm)
- Tasgius Stephens, 1829
- Creophilus Leach
- Подтриба Quediina Kraatz, 1858
- Acylophorus Nordmann, 1837
- Euryporus Erichson, 1839
- Heterothops Stephens, 1829
- Quedius Stephens, 1829
- Velleius Samouelle, 1819
- Триба Tanygnathinini Reitter, 1909
- Atanygnathus Jacobson, 1909
Steninae MacLeay, 1825
- Dianous Samouelle, 1819
- Stenus Latreille, 1796
Tachyporinae MacLeay, 1825
- Триба Mycetoporini Thomson, 1859 (= Bolitobiini Horn, 1877)
- Bolitobius Samouelle, 1819
- Bryophacis Reitter, 1857
- Bryoporus Kraatz, 1857
- Carphacis Des Gozis, 1886
- Ischnosoma Stephens, 1829
- Lordithon Thomson, 1859
- Mycetoporus Mannerheim, 1830
- Триба Tachyporini MacLeay, 1825
- Cilea Jacquelin du Val, 1856
- Coproporus Kraatz, 1858
- Lamprinodes Luze, 1901
- Lamprinus Heer, 1839
- Sepedophilus Gistel, 1856
- Tachinus Gravenhorst, 1802
- Tachyporus Gravenhorst, 1802
Trichophyinae Thomson, 1859
- Trichophya Mannerheim, 1830
Trigonurinae Erichson, 1839
Фотогалерея
Ocypus sp.
Tachyporus obtusus
Paederus littoralis
Примечания
- ↑ О русских названиях жуков. Дата обращения: 22 ноября 2009. Архивировано 23 октября 2009 года.
- 1 2 Jan Klimaszewski, Reginald P. Webster, David W. Langor, Adam Brunke, Anthony Davies, Caroline Bourdon, Myriam Labrecque, Alfred F. Newton, Julie-Anne Dorval, J. Howard Frank. Aleocharine Rove Beetles of Eastern Canada (Coleoptera, Staphylinidae, Aleocharinae): A Glimpse of Megadiversity. — Springer International Publishing, 2018. — 902 p. — ISBN 978-3-319-77343-8, 978-3-319-77344-5.
- ↑ Myrmecophily in beetles (Coleoptera): Evolutionary patterns and biological mechanisms (англ.). ResearchGate. Дата обращения: 12 марта 2019.
- 1 2 3 4 Grebennikov Vasily V. & Alfred F. Newton. Good-bye Scydmaenidae, or why the ant-like stone beetles should become megadiverse Staphylinidae sensu latissimo (Coleoptera) (ref-en) // Eur. J. Entomol.. — 2009. — P. 275—301. Архивировано 20 мая 2013 года. (Дата обращения: 5 августа 2013)
- ↑ Chatzimanolis, S., D. A. Grimaldi, M. S. Engel, and N. C. Fraser. 2012. Leehermania prorova, the earliest staphyliniform beetle, from the Late Triassic of Virginia (Coleoptera: Staphylinidae). American Museum Novitates, 3761:1—28.
- ↑ Martin Fikáček, Rolf G. Beutel, Chenyang Cai, John F. Lawrence, Alfred F. Newton. Reliable placement of beetle fossils via phylogenetic analyses – Triassic Leehermania as a case study (Staphylinidae or Myxophaga?) (англ.) // Systematic Entomology. — Vol. 0, iss. 0. — ISSN 1365-3113. — doi:10.1111/syen.12386. Архивировано 15 декабря 2019 года.
- ↑ C. Y. Cai, D. Y. Huang, A. F. Newton and M. K. Thayer. Mesapatetica aenigmatica, a new genus and species of rove beetles (Coleoptera, Staphylinidae) from the Middle Jurassic of China (англ.) // Journal of the Kansas Entomological Society. — Kansas Entomological Society, 2014. — Vol. 87. — P. 219—224. — ISSN 0022-8567.
- ↑ Cai, C., and D. Huang. 2013. A new species of small-eyed Quedius (Coleoptera: Staphylinidae: Staphylininae) from the Early Cretaceous of China. Cretaceous Research, 44:54-57.
- ↑ Chatzimanolis, S., A. F. Newton, C. Soriano, and M. S. Engel. 2013. Remarkable stasis in a phloeocharine rove beetle from the Late Cretaceous of New Jersey (Coleoptera: Staphylinidae). Journal of Paleontology, 87(2): 177—182.
- ↑ Chatzimanolis, S., and M.S. Engel. 2011. A new species of Diochus from Baltic amber (Coleoptera, Staphylinidae, Diochini). ZooKeys, 138:65—73.
- ↑ Amalia Bogri, Alexey Solodovnikov, Dagmara Żyła. Baltic amber impact on historical biogeography and palaeoclimate research: oriental rove beetle Dysanabatium found in the Eocene of Europe (Coleoptera, Staphylinidae, Paederinae) (англ.) // Papers in Palaeontology. — 2018. — Vol. 4, iss. 3. — P. 433–452. — ISSN 2056-2802. — doi:10.1002/spp2.1113.
- ↑ Chatzimanolis, S., M. S. Engel. 2013. The Fauna of Staphylininae in Dominican Amber (Coleoptera: Staphylinidae). Архивная копия от 1 декабря 2018 на Wayback Machine Annals of Carnegie Museum 81(4):281—294. 2013
- ↑ Chenyang Cai, Diying Huang, Alfred F. Newton, K. Taro Eldredge, Michael S. Engel. Early Evolution of Specialized Termitophily in Cretaceous Rove Beetles (англ.) // Current Biology. — 2017-04. — Т. 27, вып. 8. — С. 1229–1235. — ISSN 0960-9822. — doi:10.1016/j.cub.2017.03.009.
- ↑ Список стафилинид (Staphylinidae) фауны России. Дата обращения: 22 мая 2010. Архивировано 16 июля 2012 года.
- ↑ Alfred F. Newton, Catalina Gutiérrez Chacón and Donald S. Chandler. (2005). Checklist of the Staphylinidae (Coleoptera) of Colombia. Biota Colombiana 6 (1): 1—72. ISSN 0124-5376
- ↑ Jan Klimaszewski , Alfred F. Newton & Margaret K. Thayer. (1996). A review of the New Zealand rove beetles (Coleoptera: Staphylinidae) Архивная копия от 20 января 2022 на Wayback Machine. — New Zealand Journal of Zoology (The Royal Society of New Zealand, 0301-4223/2302-0143). Volume 23, Issue 2. Pages 143—160. https://doi.org/10.1080/03014223.1996.9518074
- ↑ Staphylinidae. Catálogo Taxonômico da Fauna do Brasil.
- ↑ Taxonomic Catalog of the Brazilian Fauna — Staphylinidae (Coleoptera). Edilson Caron, Alfred Francis Newton.
- ↑ ANGÉLICO ASENJO, JAN KLIMASZEWSKI, DONALD S. CHANDLER, HUGO EDUARDO FIERROS-LÓPEZ, JULIANA S. VIEIRA. Staphylinidae (Insecta: Coleoptera) in Latin America: synopsis, annotated catalog, diversity and distribution (англ.) // Zootaxa : Журнал. — Auckland, New Zealand: Magnolia Press, 2019. — Vol. 4621, no. 1. — P. 1—406. — ISSN 1175-5326. — doi:10.11646/zootaxa.4621.1.1. Архивировано 23 июня 2019 года.
- 1 2 Thayer, Margaret K. Staphylinidae // Coleoptera, Beetles. Volume 1: Morphology and Systematics (Archostemata, Adephaga, Myxophaga, Polyphaga partim). 2nd edition / Beutel, Rolf D. and Richard A. B. Leschen (eds.). — 2-е издание. — Berlin, Germany: Walter de Gruyter GmbH & Co KG, 2016. — P. 394—398. — 701 p. — (Handbook of Zoology. Insecta. Part 38.). — ISBN 978-3-11-024906-4. Архивировано 20 августа 2016 года.
- 1 2 3 4 5 6 Thayer, Margaret K. Staphylinidae // Coleoptera, Beetles. Volume 1: Morphology and Systematics (Archostemata, Adephaga, Myxophaga, Polyphaga partim) / Beutel, R. D. and R. A. B. Leschen (eds.). — Berlin, Germany: Walter de Gruyter, 2005. — P. 296—344. — 567 p. — (Handbook of Zoology. Insecta. Part 38.). — ISBN 978-3-11-017130-3. Архивировано 10 августа 2014 года.
- ↑ Мамаев Б. М., Медведев Л. Н. и Правдин Ф. Н. Определитель насекомых европейской части СССР. — Москва: «Просвещение», 1976. — С. 103—187. — 304 с. — 80 000 экз.
- ↑ Frank, J. Howard; Thomas, Michael C. Staphylinidae (Insecta: Coleoptera: Staphylinidae) of Florida (англ.). Featured Creatures. University of Florida (сентябрь 2018). Дата обращения: 5 мая 2023. Архивировано 19 июля 2013 года.
- 1 2 3 4 5 6 7 8 9 10 Frank, J. Howard; Thomas, Michael C. Rove beetles (of the world). Staphylinidae (англ.). Featured Creatures. University of Florida (октябрь 2019). Дата обращения: 5 мая 2023. Архивировано 16 января 2014 года.
- ↑ Lee H. Herman. Catalog of the Staphylinidae. Архивная копия от 18 сентября 2020 на Wayback Machine Bull. Amer. Mus. Natur. Hist., New York. 2001. N. 265. Parts I—VII. Pp.1-4218. (рус.) (Дата обращения: 22 мая 2012)
- ↑ Frank J. Howard and Michael C. Thomas. Rove Beetles of the World, Staphylinidae (Insecta:Coleoptera: Staphylinidae). (недоступная ссылка)
- 1 2 Lawrence J. F., Newton A. F. Families and subfamilies of Coleoptera (with selected genera, notes, references and data on family-group names) // Biology, Phylogeny, and Classification of Coleoptera: Papers celebrating the 80th birthday of R.A. Crowson (англ.) / Pakaluk J., Slipinski S. A. (eds.). — Warsaw: Museum i Instytut Zoologii PAN, 1995. — P. 779—1006. Архивировано 7 июня 2008 года.
- ↑ Ashe, J.S. and Newton, A.F. Jr. 1993. Larvae of Trichophya and phylogeny of the tachyporine group of subfamilies (Co.leoptera: Staphylinidae) with a review, new species and characterization of the Tnchophymae. Systematic Entomology, 18: 267—286.
- ↑ Newton, A.F., Jr., Thayer, M.K. 1992. Current classification and family-group names in Staphyliniformia (Coleoptera). Fieldiana: Zoology (N.S.). No. 67: 1—92.
- ↑ Newton, A.F., Jr., Thayer, M.K. 1995. Protopselaphinae new subfamily for Protopselaphus new genus from Malaysia, with a phylogenetic analysis and review of Omaliinae Group of Staphylinidae including Pselaphidae (Coleoptera). In: Pakaluk, J. and Slipinski, S.A. (eds.): Biology, Phylogeny, and Classification of Coleoptera: Papers celebrating the 80th birthday of R.A. Crowson. Warszawa: 219—320.
Литература
- Кащеев В. А. Классификация морфоэкологических типов имаго стафилинид // Tethys Entomological Research : Журнал. — 1999. — № 1. — С. 157—170.
- Потоцкая В. А. Морфо-экологические типы личинок Staphylinoidea (Coleoptera) // Морфо-экол. адаптации насекомых в наземных сообществах. — М., 1982. — С. 37—58.
- Тихомирова А. Л. Морфоэкологические особенности и филогенез стафилинид (с каталогом фауны СССР). — М.: Наука, 1973. — 190 с.
- Biology of Rove Beetles (Staphylinidae). Life History, Evolution, Ecology and Distribution / Oliver Betz, Ulrich Irmler, Jan Klimaszewski (Editors). — Springer International Publishing, 2018. — 351 p. — ISBN 978-3-319-70255-1, 978-3-319-70257-5. — doi:10.1007/978-3-319-70257-5.
- Coiffait, H. 1972. Coléoptères Staphylinidae de la région Paléarctique occidentale. I. Généralités. Sous-familles: Xantholininae et Leptotyphlinae. Nouvelle revue d’entomologie Supplément 2(2): i–ix + 1—651.
- Lohse G. A. Familie: Staphylinidae. In: Freude, H., Harde, K.W. & Lohse, G.A. (Eds.), Die Käfer Mitteleuropas. Band 4, Staphylinidae I (Micropeplinae bis Tachyporinae). — Krefeld: Goecke & Evers Verlag, 1964. — 264 p.
- Lohse G. A. Familie: Staphylinidae. In: Freude, H., Harde, K.W. & Lohse, G.A. (Eds.), Die Käfer Mitteleuropas. Band 5, Staphylinidae II (Hypocyphtinae und Aleocharinae). Pselaphidae. — Krefeld: Goecke & Evers Verlag, 1974. — 381 p.
- Lott D. A. The Staphylinidae (rove beetles) of Britain and Ireland. Part 5: Scaphidiinae, Piestinae, Oxytelinae. Handbooks for the identification of British insects, vol. 12, part 5. — St Albans: Royal Entomological Society, 2009.
- Lobl I. & A. Smetana. Catalogue of Palearctic Coleoptera. — Stenstrup, Denmark: Apollo Books, 2004. — P. 237. — 942 p. — ISBN 87-88757-74-9.
- Asenjo A., Irmler U., Klimaszewski J., Herman L.H. & Chandler D.S. A complete checklist with new records and geographical distribution of the rove beetles (Coleoptera, Staphylinidae) of Brazil (англ.) // Insecta mundi : Журнал. — Gainesville, FL: Center for Systematic Entomology, Inc., 2013. — Vol. 0277. — P. 1–419. — ISSN 1942-1354.
- Herman L.H. Catalog of the Staphylinidae (Insecta: Coleoptera). 1758 to the end of the second millennium. I. Introduction, history, biographical sketches, and Omaliine group (англ.) // Bulletin of the American Museum of Natural History : Журнал. — 2001. — Vol. 265. — P. 1–650. — ISSN 0003-0090.
- Herman L.H. Catalog of the Staphylinidae (Insecta: Coleoptera). 1758 to the end of the second millennium. II. Tachyporine group (англ.) // Bulletin of the American Museum of Natural History : Журнал. — 2001. — Vol. 265. — P. 651–1066. — ISSN 0003-0090.
- Herman L.H. Catalog of the Staphylinidae (Insecta: Coleoptera). 1758 to the end of the second millennium. III. Oxyteline group (англ.) // Bulletin of the American Museum of Natural History : Журнал. — 2001. — Vol. 265. — P. 1067–1806. — ISSN 0003-0090.
- Herman L.H. Catalog of the Staphylinidae (Insecta: Coleoptera). 1758 to the end of the second millennium. IV. Staphylinine group (Part 1). Euaesthetinae, Leptotyphlinae, Megalopsidiinae, Oxyporinae, Pseudopsinae, Solieriinae, Steninae (англ.) // Bulletin of the American Museum of Natural History : Журнал. — 2001. — Vol. 265. — P. 1807–2440. — ISSN 0003-0090.
- Herman L.H. Catalog of the Staphylinidae (Insecta: Coleoptera). 1758 to the end of the second millennium. V. Staphylinine group (Part 2). Staphylininae: Diochini, Maorothiini, Othiini, Platyprosopini, Staphylinini (Amblyopinina, Anisolinina, Hyptiomina, Philonthina) (англ.) // Bulletin of the American Museum of Natural History : Журнал. — 2001. — Vol. 265. — P. 2441–3020. — ISSN 0003-0090.
- Herman L.H. Catalog of the Staphylinidae (Insecta: Coleoptera). 1758 to the end of the second millennium. VI. Staphylinine group (Part 3). Staphylininae: Staphylinini (Quediina, Staphylinina, Tanygnathinina, Xanthopygina), Xantholinini. Staphylinidae incertae sedis. Fossils, Protactinae† (англ.) // Bulletin of the American Museum of Natural History : Журнал. — 2001. — Vol. 265. — P. 3021–3840. — ISSN 0003-0090.
- Herman L.H. Catalog of the Staphylinidae (Insecta: Coleoptera). 1758 to the end of the second millennium. VII. Bibliography and Index (англ.) // Bulletin of the American Museum of Natural History : Журнал. — 2001. — Vol. 265. — P. 3841–4218. — ISSN 0003-0090.
- Blackwelder, Richard Eliot. Monograph of the West Indian beetles of the family Staphylinidae (англ.) // Bulletin of the United States National Museum : Журнал. — 1943. — Vol. 182. — P. 1—658. — doi:10.5479/si.03629236.182.i.
Ссылки
- Family Staphylinidae - Rove Beetles (англ.). BugGuide. Дата обращения: 5 мая 2023.
- Staphylinidae Latreille, 1802. bug.tamu.edu
- Frank, J. Howard; Thomas, Michael C. Rove beetles (of the world). Staphylinidae (англ.). Featured Creatures. University of Florida (октябрь 2019). Дата обращения: 5 мая 2023.
- Rove Beetles of the World, Staphylinidae (Insecta: Coleoptera: Staphylinidae).
- Атлас стафилинид (Staphylinidae) России и сопредельных стран
- Стафилиниды (Staphylinidae)
- Каталог Staphylinidae с 1758 до 2000.
- Beetle family Staphylinidae Latreille, 1802. Natural History Museum (Oslo, Norway)
- К. А. Гребенников Аннотированный список стафилинид (Coleoptera, Staphylinidae) Нижнего Поволжья
- Стриганова Б. Р., Захаров А. А. Пятиязычный словарь названий животных: Насекомые. Латинский, русский, английский, немецкий, французский / под ред. д-ра биол. наук, проф. Б. Р. Стригановой. — М.: РУССО, 2000. — С. 111—112. — 1060 экз. — ISBN 5-88721-162-8.
.jpg)