Gyrophaena sculptipennis
| Gyrophaena sculptipennis | ||||||||
|---|---|---|---|---|---|---|---|---|
| ||||||||
| Научная классификация | ||||||||
|
Домен: Царство: Подцарство: Без ранга: Без ранга: Без ранга: Без ранга: Тип: Подтип: Надкласс: Класс: Подкласс: Инфракласс: Надотряд: Отряд: Подотряд: Инфраотряд: Надсемейство: Семейство: Подсемейство: Триба: Homalotini Подтриба: Gyrophaenina Род: Вид: Gyrophaena sculptipennis |
||||||||
| Международное научное название | ||||||||
| Gyrophaena sculptipennis Casey, 1906[1] | ||||||||
| ||||||||
Gyrophaena sculptipennis (лат.) — вид жуков-стафилинид рода Gyrophaena из трибы Homalotini (подсемейство Aleocharinae). Северная Америка[2][3].
Распространение
Описание
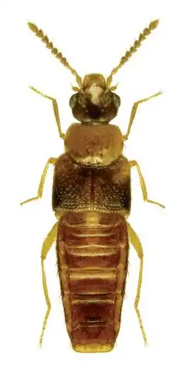
Мелкие коротконадкрылые жуки. Длина тела от 1,9 до 2,2 мм, форма узкоовальная. Пронотум в 1,4 раза шире своей длины. Окраска желтовато-коричневая (брюшко красновато-коричневое). Обнаружены с июня по сентябрь в смешанных и лиственных лесах. Личинки и взрослые жуки питаются грибами (облигатные микофаги), в которых живут, питаются и размножаются, откладывают яйца. Поедают споры, базидии и гифы грибницы[1]. Голова широкая, сильно поперечная. Глаза относительно крупные, выступающие (за глазами голова суженная). Язычок длинный и узкий. Губные щупики 2-члениковые. Переднеспинка уже надкрылий. Задние лапки 5-члениковые, а лапки передних и средних состоят из 4 сегментов (формула лапок: 4-5-5)[5].
Примечания
- 1 2 3 Klimaszewski, J.; Webster, R. P.; Savard, K. 2009: Review of the rove beetle species of the subtribe Gyrophaenina Kraatz (Coleoptera, Staphylinidae) from New Brunswick, Canada: new species, provincial records and bionomic information. Архивная копия от 16 июля 2014 на Wayback Machine In: Majka, C.G.; Klimaszewski, J. (eds) Biodiversity, biosystematics, and ecology of Canadian Coleoptera II. ZooKeys, 22: 81–170. doi: 10.3897/zookeys.22.219
- ↑ Casey T.L. (1906). Observations of the staphylinid groups Aleocharinae and Xantholinini, chiefly of America. Transactions of the Academy of Sciences of St. Louis 16: 125—435.
- ↑ Casey T.L. (1911). New American species of Aleocharinae and Myllaeninae. Memoirs on the Coleoptera 2. Th e New Era Printing Company, Lancaster, Pennsylvania, 245pp.
- ↑ Seevers, C. H. Revision of the North American and European Staphylinid Beetles of the Subtribe Gyrophaenae (Aleocharinae, Bolitocharini) // Fieldiana. — 1951. — 32, N 10. — P. 656–762.
- ↑ Определитель насекомых европейской части СССР. Т. II. Жесткокрылые и веерокрылые / под общ. ред. чл.-корр. Г. Я. Бей-Биенко. — М.—Л.: Наука, 1965. — С. 116, 120, 152. — 668 с. — (Определители по фауне СССР, издаваемые Зоологическим институтом АН СССР; вып. 89). — 5700 экз.
Литература
- Ashe, J. S. Generic revision of the subtribe Gyrophaenina (Coleoptera: Staphylinidae: Aleocharinae) with a review of the described subgenera and major features of evolution // Quaestiones entomologicae. — 1984. — 20, N 3. — P. 129—349.
- Seevers, Charles H. 1978. A generic and tribal revision of the North American Aleocharinae (Coleoptera: Staphylinidae). Fieldiana (Zoology), vol. 71. vi + 1-289. ISSN: 0015-0754
_sculptipennis.jpg)